电脑桌面
添加小米粒文库到电脑桌面
安装后可以在桌面快捷访问

停泵水锤的计算原理VIP免费

停泵水锤的计算原理_第1页
1/7
停泵水锤的计算原理_第2页
2/7
停泵水锤的计算原理_第3页
3/7
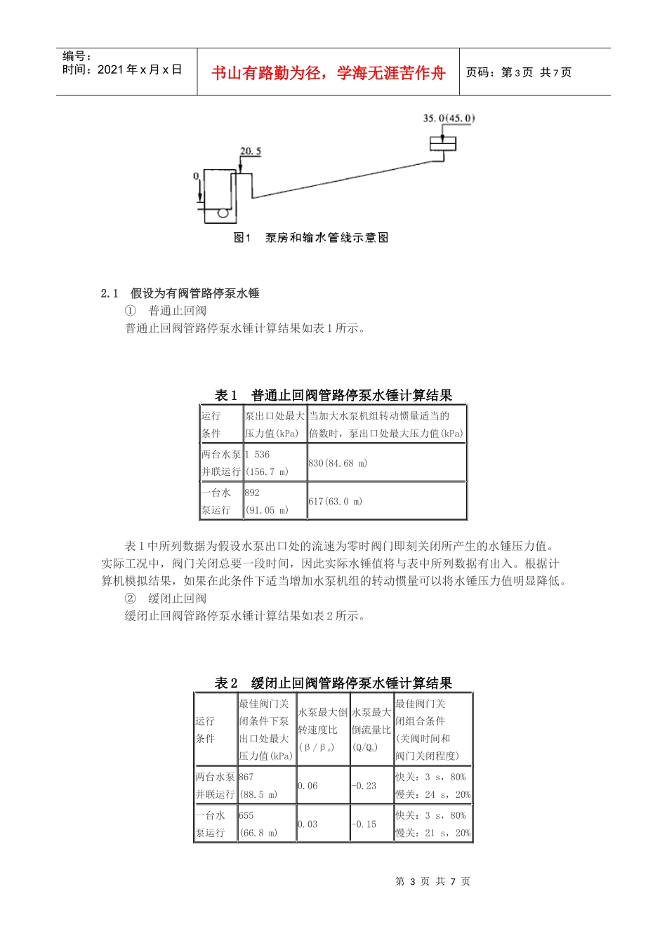
第1页共7页编号:时间:2021年x月x日书山有路勤为径,学海无涯苦作舟页码:第1页共7页停泵水锤计算及其防护措施摘要:简要介绍了停泵水锤的计算依据,并采用计算机软件模拟实际工程的停泵水锤工作情况。根据多项工程的实测和计算机模拟结果,提出了泵房和输水管线设计中应注意的问题以及停泵水锤的防护措施。中图分类号:TU991.39文献标识码:C文章编号:1000-4602(2000)05-0029-04停泵水锤是水锤现象中的一种,是指水泵机组因突然断电或其他原因而造成的开阀状态下突然停车时,在水泵及管路系统中,因流速突然变化而引起的一系列急剧的压力交替升降的水力冲击现象。一般情况下停泵水锤最为严重,其对泵房和管路的安全有极大的威胁,国内有几座水泵房曾发生停泵水锤而导致泵房淹没或管路破裂的重大事故。停泵水锤值的大小与泵房中水泵和输水管路的具体情况有关。在泵房和输水管路设计时应考虑可能发生的水锤情况,并采取相应的防范措施避免水锤的发生,或将水锤的影响控制在允许范围内。我院在综合国内外关于水锤的最新科研成果并结合多年工程实践的经验,以特征线法为基础开发了水锤计算程序。这一程序可较好地模拟各种工况条件下水泵及输水管路系统的水锤状况,为高扬程长距离输水工程提供设计依据。1停泵水锤的计算原理停泵水锤的计算有多种方法:图解法、数解法和电算法。其基本原理是按照弹性水柱理论,建立水锤过程的运动方程和连续方程,这两个方程是双曲线族偏微分方程。运动方程式为:连续方程式为:式中H——管中某点的水头V——管内流速a——水锤波传播速度x——管路中某点坐标g——重力加速度t——时间f——管路摩阻系数第2页共7页第1页共7页编号:时间:2021年x月x日书山有路勤为径,学海无涯苦作舟页码:第2页共7页D——管径通过简化求解得到水锤分析计算的最重要的基础方程:H-H0=F(t-x/a)+F(t+x/a)(3)V-V0=g/a×F(t-x/a)-g/a×F(t+x/a)(4)式中F(t-x/a)——直接波F(t+x/a)——反射波在波动学中,直接波和反射波的传播在坐标轴(H,V)中的表现形式为射线,即特征线。它表示管路中某两点处在水锤过程中各自相应时刻的水头H与流速V之间的相互关系。为了方便计算机的计算,将上述方程组变换为水头平衡方程和转速改变方程,即成事故停泵时水泵的两个边界条件方程式:F1=PM-BQv+Hn(β2+v2)(A0+A1x)-ΔH0v2/(τ2)=0(5)F2=(β2+v2)(B0+B1x)+m0-C3(β0-β)=0(6)式中β——N/Nn(实际转速/额定转速)v——Q/Qn(实际流量/额定流量)通过上述两式的联立,采用牛顿—莱福生迭代公式,可以解出v和β的近似数值。将水泵的全面性能曲线改造为仅与转速和流速有关的全面性能曲线,以便计算机在解方程时取值,即:WH(x)=h/(β2+v2)(7)WM(x)=m/(β2+v2)(8)式中h——H/Hn(实际扬程/额定扬程)m——M/Mn(实际转矩/额定转矩)现行的水锤计算方法就是基于上述原理。2几种边界条件下水锤工况的模拟结果根据我国南方某城市取水泵房的水泵及输水管线的实际情况,采用计算机程序模拟水锤情况如下(均按最低枯水位计算):基本情况:水泵机组:Qn=5000m3/h,Hn=55m,Nn=741r/min,Ns=132.4,GD2=874.7kg.m2,Mn=932.72kg.m,近期单台运行,远期两台运行。输水管线:DN=1400mm,L=5750m,几何扬程:35m(近期),45m(远期)。泵房和输水管线如图1所示:第3页共7页第2页共7页编号:时间:2021年x月x日书山有路勤为径,学海无涯苦作舟页码:第3页共7页2.1假设为有阀管路停泵水锤①普通止回阀普通止回阀管路停泵水锤计算结果如表1所示。表1普通止回阀管路停泵水锤计算结果运行条件泵出口处最大压力值(kPa)当加大水泵机组转动惯量适当的倍数时,泵出口处最大压力值(kPa)两台水泵并联运行1536(156.7m)830(84.68m)一台水泵运行892(91.05m)617(63.0m)表1中所列数据为假设水泵出口处的流速为零时阀门即刻关闭所产生的水锤压力值。实际工况中,阀门关闭总要一段时间,因此实际水锤值将与表中所列数据有出入。根据计算机模拟结果,如果在此条件下适当增加水泵机组的转动惯量可以将水锤压力值明显降低。②缓闭止回阀缓闭止回阀管路停泵水锤计算结果如表2所示。表2缓闭止回阀管路停泵水锤计算结果运行条件最佳阀门...

1、当您付费下载文档后,您只拥有了使用权限,并不意味着购买了版权,文档只能用于自身使用,不得用于其他商业用途(如 [转卖]进行直接盈利或[编辑后售卖]进行间接盈利)。
2、本站所有内容均由合作方或网友上传,本站不对文档的完整性、权威性及其观点立场正确性做任何保证或承诺!文档内容仅供研究参考,付费前请自行鉴别。
3、如文档内容存在违规,或者侵犯商业秘密、侵犯著作权等,请点击“违规举报”。

碎片内容

停泵水锤的计算原理

教育教学文库+ 关注
实名认证
内容提供者

本店有大量的教育教学资料,课件

确认删除?
VIP
微信客服
  • 扫码咨询
会员Q群
  • 会员专属群点击这里加入QQ群
客服邮箱
回到顶部