工程施工中密实度的测定方法回填土使用在桩基、基槽管沟、基坑填方、场地平整、排水沟、地(路)面的基层和地基局部处理等处,回填的材料主...
下载后可任意编辑建设工程质量监督站委托检测协议书(砂基密实度)委托编号: 客户填写委托单位名称联系人地址联系电话邮编传真工程名称施...
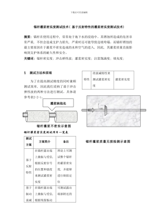
下载后可任意编辑锚杆灌浆密实度测试技术( 基于反射特性的灌浆密实度测试技术) 摘要: 锚杆在使用过程中, 常常处于地下水的浸泡中。其锈...
基础回填土密实度(或压实度)检测方案 一、工程概述:广州市宏峰房地产开发有限公司地下车库(自编号云峰花园D 区地下车库一),位于广...
土面区密实度检测规程 目 录 1.0 术语 .......................................... 3 2.0 土面区平整范围 ........................

