电脑桌面
添加小米粒文库到电脑桌面
安装后可以在桌面快捷访问

包装箱跌落测试冲击标准VIP免费

包装箱跌落测试冲击标准_第1页
1/8
包装箱跌落测试冲击标准_第2页
2/8
包装箱跌落测试冲击标准_第3页
3/8
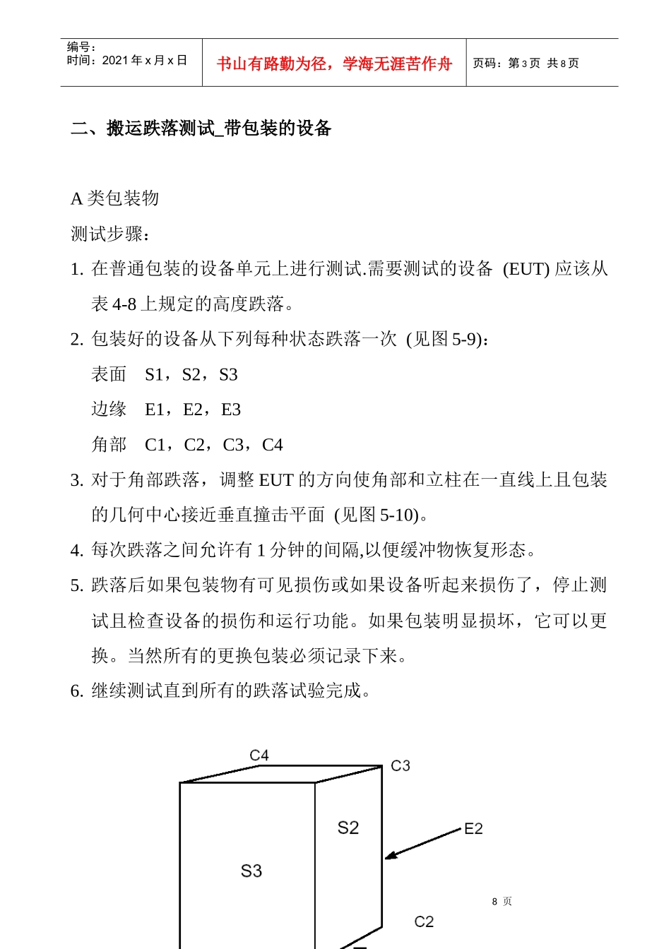
第1页共8页编号:时间:2021年x月x日书山有路勤为径,学海无涯苦作舟页码:第1页共8页包装箱跌落测试冲击标准一、包装好的设备的冲击标准适用于包装箱的标准(如包装好的设备)是以包装箱的重量为基础的,不考虑包装箱是否带托盘。包装箱的适用标准基于下列因素:A类:不符合B类条件的设备B类:总重量>100kg(220.5lb)或总重量<=100kg(220.5lb)并且包装箱带托盘.A类包装箱能承受自由跌落;B类能承受自由跌落,角部着地,和边缘着地。这些冲击的设定适用于包装箱的外表。1A类包装箱下面的标准适用于A类包装箱。R4-41[107]在遭受表4-7中的自由跌落冲击等级时,包装好的设备不应该存在任何物理损伤和性能恶化。第2页共8页第1页共8页编号:时间:2021年x月x日书山有路勤为径,学海无涯苦作舟页码:第2页共8页表4-7A类包装箱包装好的设备冲击标准质量(kg)跌落高度(mm)搬运方式0至10(0~22lb)750(29.5in)一个人扔10至25(22~55.1lb)600(23.6in)一个人般25至50(55.1~110.2lb)525(20.7in)两个人抬50至100(110.2~220.5lb)450(18.5in)两个人抬2B类包装箱下面的标准适用于B类包装箱。R4-42[108]在遭受表4-8中的自由跌落冲击等级时,包装好的设备不应该存在任何物理损伤和性能恶化。表4-8B类包装箱包装好的设备冲击标准质量(kg)跌落高度(mm)0<450(992lb)300(11.8in)450或大于450(992lb)150(2.9in)第3页共8页第2页共8页编号:时间:2021年x月x日书山有路勤为径,学海无涯苦作舟页码:第3页共8页二、搬运跌落测试_带包装的设备A类包装物测试步骤:1.在普通包装的设备单元上进行测试.需要测试的设备(EUT)应该从表4-8上规定的高度跌落。2.包装好的设备从下列每种状态跌落一次(见图5-9):表面S1,S2,S3边缘E1,E2,E3角部C1,C2,C3,C43.对于角部跌落,调整EUT的方向使角部和立柱在一直线上且包装的几何中心接近垂直撞击平面(见图5-10)。4.每次跌落之间允许有1分钟的间隔,以便缓冲物恢复形态。5.跌落后如果包装物有可见损伤或如果设备听起来损伤了,停止测试且检查设备的损伤和运行功能。如果包装明显损坏,它可以更换。当然所有的更换包装必须记录下来。6.继续测试直到所有的跌落试验完成。第4页共8页第3页共8页编号:时间:2021年x月x日书山有路勤为径,学海无涯苦作舟页码:第4页共8页B类包装物测试步骤:1.在普通包装的设备单元上进行测试.需要测试的设备(EUT)应该从表4-8上规定的高度和表面跌落。2.用简易的设施搬运EUT(例如,铲车,吊车,或滑轮)3.将EUT放在它一般的放置表面。4.EUT遭受下列跌落(见图5-11):自由跌落一般放置表面边缘两个对角的角部两个相邻的边缘5.测试其间如果包装物有可见损伤或如果设备听起来损伤了,停止测试且检查设备的损伤和运行功能.如果包装明显损坏,它可以更换.当然所有的更换包装必须记录下来。第5页共8页第4页共8页编号:时间:2021年x月x日书山有路勤为径,学海无涯苦作舟页码:第5页共8页自由落体跌落6.举起EUT到设定的高度.见图5-12(a和b)。测试区域必须足够大这样一来EUT颠覆的时候就不会有阻碍。7.对于设计了搬运附件的EUT(如吊环螺栓等),应该使用这些螺栓起吊并且允许采用这些形成的位置,就像图5-12(a)所示的.因为放置面可能不是水平,预先设定的跌落高度应该从设备的最低点到第6页共8页第5页共8页编号:时间:2021年x月x日书山有路勤为径,学海无涯苦作舟页码:第6页共8页地板来测量.EUT应该从这个位置跌落一次。边缘跌落8.将EUT放置在图5-12(c)所示的支撑物上。支撑物应该与跌落高度一样高。抬高测试边缘到跌落高度然后释放EUT。EUT撞到测试平面后,它应该保持不翻倒。角部跌落9.角部跌落按#10或#11描述的实施.测试方法的选择基于对给定的EUT的技术上的判断。不管怎样,EUT应该有能力承受这些冲击测试的其中任何一个。10.将EUT放在图5-12(d)所示的支撑物上.支撑物应该于测试高度一样高。EUT放在支撑物上的位置应能在测试时对角部产生最大的撞击.抬起测试角部然后释放EUT。EUT撞到测试平面后,它应该保持不翻倒。11.将EUT放在图5-13所示的支撑物上。抬起测试角部然后释放EUT。EUT撞到测试平面后,它应该保持不翻倒。第7页共8页第6页共8页编号:时间:2021年x月x日书山有路勤为径,学海无涯苦作舟页码:第7页共8页第8页共8页第7页共8页编号:时间:2021年x月x日书山有路勤为径,学海无涯苦作舟页码:第8页共8页图5-12设备搬运

1、当您付费下载文档后,您只拥有了使用权限,并不意味着购买了版权,文档只能用于自身使用,不得用于其他商业用途(如 [转卖]进行直接盈利或[编辑后售卖]进行间接盈利)。
2、本站所有内容均由合作方或网友上传,本站不对文档的完整性、权威性及其观点立场正确性做任何保证或承诺!文档内容仅供研究参考,付费前请自行鉴别。
3、如文档内容存在违规,或者侵犯商业秘密、侵犯著作权等,请点击“违规举报”。

碎片内容

包装箱跌落测试冲击标准

确认删除?
VIP
微信客服
  • 扫码咨询
会员Q群
  • 会员专属群点击这里加入QQ群
客服邮箱
回到顶部