电脑桌面
添加小米粒文库到电脑桌面
安装后可以在桌面快捷访问

仓储融资业务的风险及防范

仓储融资业务的风险及防范_第1页
1/7
仓储融资业务的风险及防范_第2页
2/7
仓储融资业务的风险及防范_第3页
3/7
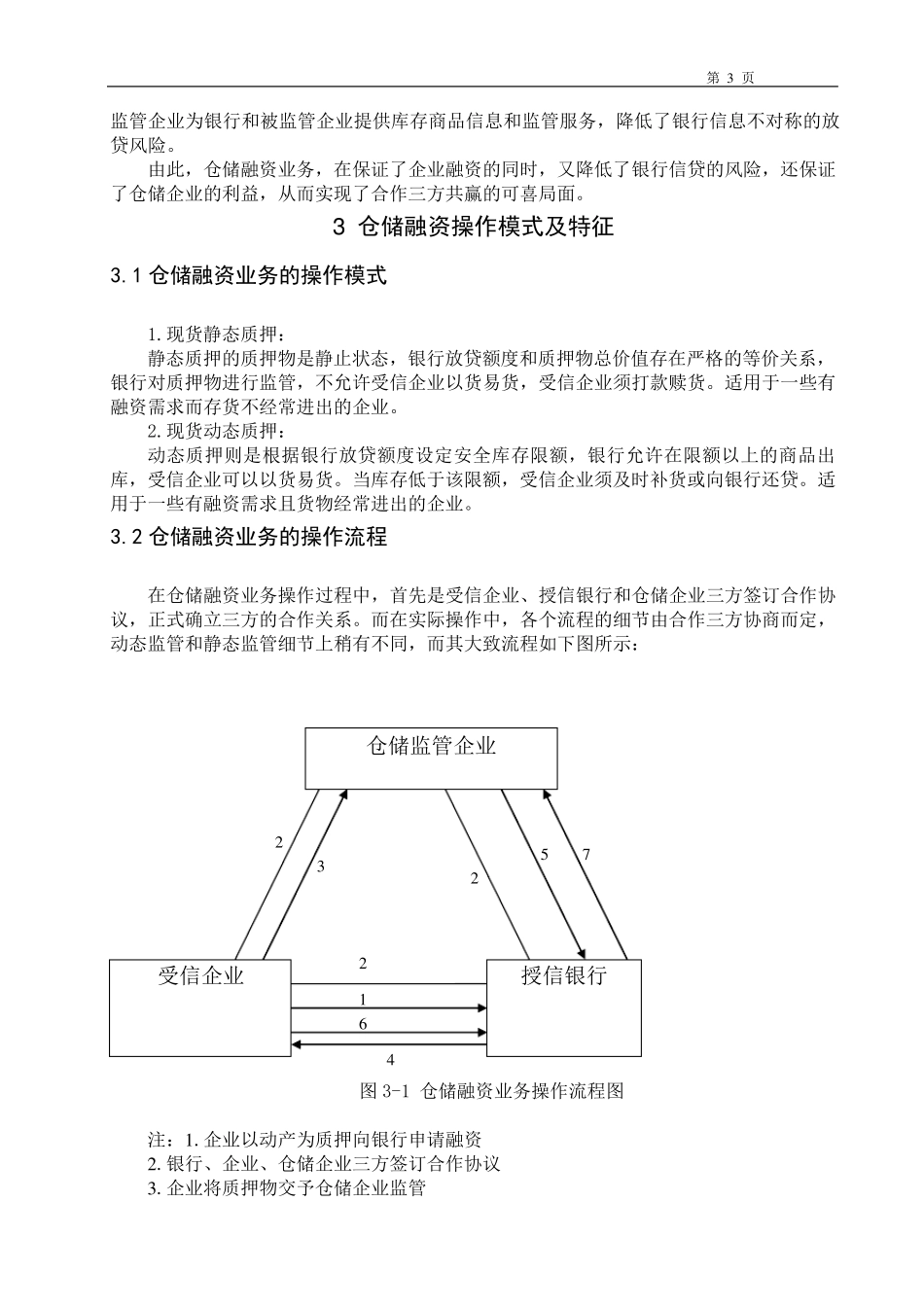
第 1 页 目 录 1 南储仓储融资业务的现状及发展 ..................................... 2 2 仓储融资业务的意义 ............................................... 2 2.1仓储融资服务为中小型企业带来了融资便利 ...................... 2 2.2仓储企业在仓储融资业务中受益颇多 ............................ 2 2.3银行通过仓储融资业务增大了放贷范围且降低了放贷风险 .......... 2 3 仓储融资操作模式及特征 ........................................... 3 3.1仓储融资业务的操作模式 ...................................... 3 3.2仓储融资业务的操作流程 ...................................... 3 4 南储公司仓储融资的风险 ........................................... 4 4.1被监管企业的风险 ............................................ 4 4.2南储公司内部员工的风险 ...................................... 4 4.3法律条款的风险 .............................................. 4 4.4信用风险 .................................................... 5 4.5道德风险 .................................................... 5 4.6安全风险 .................................................... 5 4.7其他风险 .................................................... 5 5 南储仓储融资业务风险的防范措施 ................................... 5 5.1客观风险防范措施 ............................................ 5 5.2主观风险防范措施 ............................................ 6 5.2.1首先南储公司要树立强烈的风险意识 ....................... 6 5.2.2南储公司应与授信银行和受信企业建立良好的合作伙伴关系 ... 6 5.2.3南储公司要加快信息化建设 ............................... 6 5.2.4南储公司应该加强公司的内部管理 ......................... 6 结论 ............................................................... 6 第 2 页 南储公司仓储融资业务的风险及防范 1 南储仓储融资业务的现状及发展 南储公司创建于1 998 年,是一家集仓储管理、期货交割、运输业务、仓储融资、保税仓储、仓储管理输出等为一体的综合性仓储管理公司。公司总部位于广东省佛山市,工业经济繁荣,交通便捷,是上海期货交易所和大连商品...

1、当您付费下载文档后,您只拥有了使用权限,并不意味着购买了版权,文档只能用于自身使用,不得用于其他商业用途(如 [转卖]进行直接盈利或[编辑后售卖]进行间接盈利)。
2、本站所有内容均由合作方或网友上传,本站不对文档的完整性、权威性及其观点立场正确性做任何保证或承诺!文档内容仅供研究参考,付费前请自行鉴别。
3、如文档内容存在违规,或者侵犯商业秘密、侵犯著作权等,请点击“违规举报”。

碎片内容

仓储融资业务的风险及防范

小辰5+ 关注
实名认证
内容提供者

出售各种资料和文档

确认删除?
VIP
微信客服
  • 扫码咨询
会员Q群
  • 会员专属群点击这里加入QQ群
客服邮箱
回到顶部