电脑桌面
添加小米粒文库到电脑桌面
安装后可以在桌面快捷访问

产品包装纸箱设计标准

产品包装纸箱设计标准_第1页
1/8
产品包装纸箱设计标准_第2页
2/8
产品包装纸箱设计标准_第3页
3/8
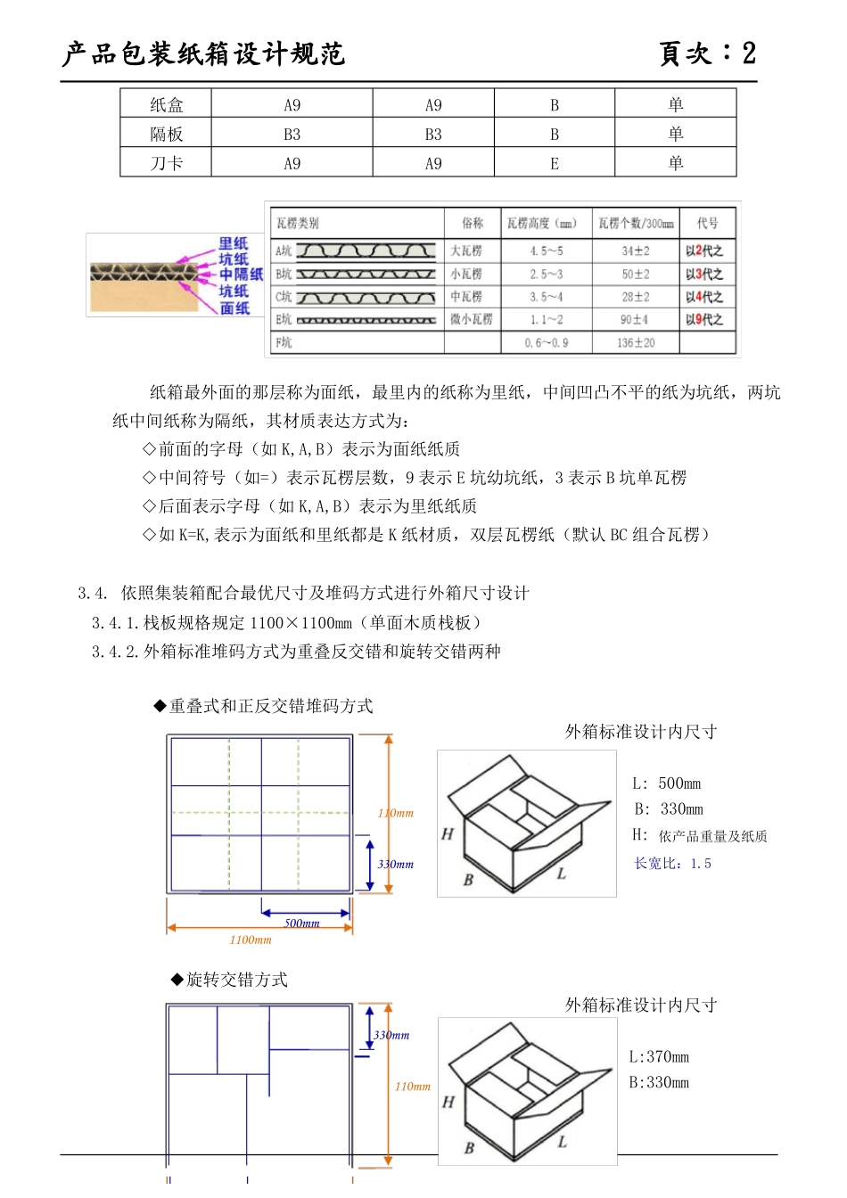
产品包装纸箱设计规范頁次:1产品包装纸箱设计规范文件編號版本文件名稱編制部門1. 目的工程部編製日期頁碼7规范产品包装纸箱设计要求,以确保产品在搬运,储存及运输过程中之品质保证。2. 範圍本规范规定了本公司纸箱结构的一般性设计要求,规定,适用于本公司产品包装纸箱设计的相关部门3. 瓦楞纸箱设计步骤内容:3.1. 纸箱的结构选型(本公司包装箱一般采用GB/T6543-2008 0201型结构)3.2. 纸箱单箱重量(毛重)规定根据国家标准,对人工搬运的单件包装箱最大重量规定为18kg,考虑到公司产品的特殊性及人员搬运操作方便性,公司规定产品包装单件重量不得大于15kg3.3. 纸箱的材质规格箱型外箱内箱外销公用 K=A,特殊 K=KA3A内销A=AB3B楞形BCBC瓦楞双双产品包装纸箱设计规范頁次:2纸盒隔板刀卡纸箱最外面的那层称为面纸,最里内的纸称为里纸,中间凹凸不平的纸为坑纸,两坑纸中间纸称为隔纸,其材质表达方式为:◇前面的字母(如 K,A,B)表示为面纸纸质◇中间符号(如=)表示瓦楞层数,9 表示 E 坑幼坑纸,3 表示 B 坑单瓦楞◇后面表示字母(如 K,A,B)表示为里纸纸质◇如 K=K,表示为面纸和里纸都是 K 纸材质,双层瓦楞纸(默认 BC 组合瓦楞)3.4. 依照集装箱配合最优尺寸及堆码方式进行外箱尺寸设计3.4.1.栈板规格规定 1100×1100mm(单面木质栈板)3.4.2.外箱标准堆码方式为重叠反交错和旋转交错两种A9B3A9A9B3A9BBE单单单◆重叠式和正反交错堆码方式外箱标准设计内尺寸 L: 500mm110mm B: 330mm H: 依产品重量及纸质330mm长宽比:1.5500mm1100mm◆旋转交错方式外箱标准设计内尺寸330mm110mmL:370mmB:330mm产品包装纸箱设计规范頁次:3370mm1100mm3.5.尺寸设计要求 3.5.1.公司外箱公用尺寸为L500mm*B330mm和L370mm*330mm两种,高度依产品包装方式数量及重量决定 3.5.2.其他外箱尺寸管制 3.5.2.1.瓦楞纸箱的尺寸以内尺寸为标准,如需标注外尺寸应在尺寸前加“外”字,单位为H: 依产品重量及纸质长宽比:1.12毫米(mm),内尺寸就是纸箱内净空尺寸,以长、宽、高顺序表示,字母代号以L、B、H 表示。 3.5.2.2.一般公差:单瓦楞纸箱±3mm,双瓦楞纸箱±5mm 3.5.2.3.外尺寸应符合GB/T4892标准规定:◆长、宽之比不大于2.5:1(RL=1~1.5内最佳)◆宽、高之比不大于2:1,不小于0.15:1 3.5.2.4.纸箱尺寸展开图◆纸箱接头 G 的制造尺寸:单瓦楞纸板为 30mm,双瓦楞纸板为 40mm◆外尺寸在内尺寸基础上+纸板厚度...

1、当您付费下载文档后,您只拥有了使用权限,并不意味着购买了版权,文档只能用于自身使用,不得用于其他商业用途(如 [转卖]进行直接盈利或[编辑后售卖]进行间接盈利)。
2、本站所有内容均由合作方或网友上传,本站不对文档的完整性、权威性及其观点立场正确性做任何保证或承诺!文档内容仅供研究参考,付费前请自行鉴别。
3、如文档内容存在违规,或者侵犯商业秘密、侵犯著作权等,请点击“违规举报”。

碎片内容

产品包装纸箱设计标准

您可能关注的文档

确认删除?
VIP
微信客服
  • 扫码咨询
会员Q群
  • 会员专属群点击这里加入QQ群
客服邮箱
回到顶部