电脑桌面
添加小米粒文库到电脑桌面
安装后可以在桌面快捷访问

技术要求-厂区充电棚维修安装技术要求施工要求技术协议

技术要求-厂区充电棚维修安装技术要求施工要求技术协议_第1页
1/2
技术要求-厂区充电棚维修安装技术要求施工要求技术协议_第2页
2/2
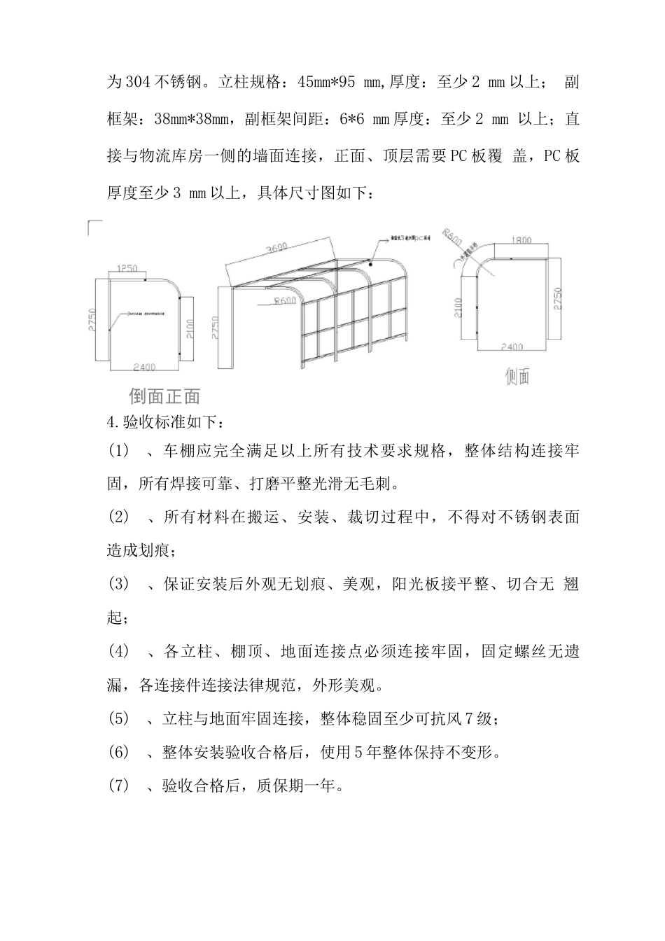
厂区电动车充电棚维修安装服务要求由于电动叉车及拖车在厂房内充电不符合消防要求,需重新维修 安装新的充电棚,安装规格:长为 36mm,宽为 24mm,靠近物流库房侧立柱高为 2750mm。具体安装技术要求如下:1、电动车辆充电区域设置在车间前门,点位图如下:2、充电棚需要 380V 配电箱配合充电桩使用,充电桩安装在充电棚内,需要将充电棚一侧打孔将充电线引出与厂房外的电动叉车及拖车连接充电。示意图如下:为 304 不锈钢。立柱规格:45mm*95 mm,厚度:至少 2 mm 以上; 副框架:38mm*38mm,副框架间距:6*6 mm 厚度:至少 2 mm 以上;直接与物流库房一侧的墙面连接,正面、顶层需要 PC 板覆 盖,PC 板厚度至少 3 mm 以上,具体尺寸图如下:倒面正面4.验收标准如下:(1)、车棚应完全满足以上所有技术要求规格,整体结构连接牢 固,所有焊接可靠、打磨平整光滑无毛刺。(2)、所有材料在搬运、安装、裁切过程中,不得对不锈钢表面 造成划痕;(3)、保证安装后外观无划痕、美观,阳光板接平整、切合无 翘起;(4)、各立柱、棚顶、地面连接点必须连接牢固,固定螺丝无遗 漏,各连接件连接法律规范,外形美观。(5)、立柱与地面牢固连接,整体稳固至少可抗风 7 级;(6)、整体安装验收合格后,使用 5 年整体保持不变形。(7)、验收合格后,质保期一年。

1、当您付费下载文档后,您只拥有了使用权限,并不意味着购买了版权,文档只能用于自身使用,不得用于其他商业用途(如 [转卖]进行直接盈利或[编辑后售卖]进行间接盈利)。
2、本站所有内容均由合作方或网友上传,本站不对文档的完整性、权威性及其观点立场正确性做任何保证或承诺!文档内容仅供研究参考,付费前请自行鉴别。
3、如文档内容存在违规,或者侵犯商业秘密、侵犯著作权等,请点击“违规举报”。

碎片内容

技术要求-厂区充电棚维修安装技术要求施工要求技术协议

您可能关注的文档

确认删除?
VIP
微信客服
  • 扫码咨询
会员Q群
  • 会员专属群点击这里加入QQ群
客服邮箱
回到顶部