电脑桌面
添加小米粒文库到电脑桌面
安装后可以在桌面快捷访问

网络安全系统测试报告VIP免费

网络安全系统测试报告_第1页
1/45
网络安全系统测试报告_第2页
2/45
网络安全系统测试报告_第3页
3/45
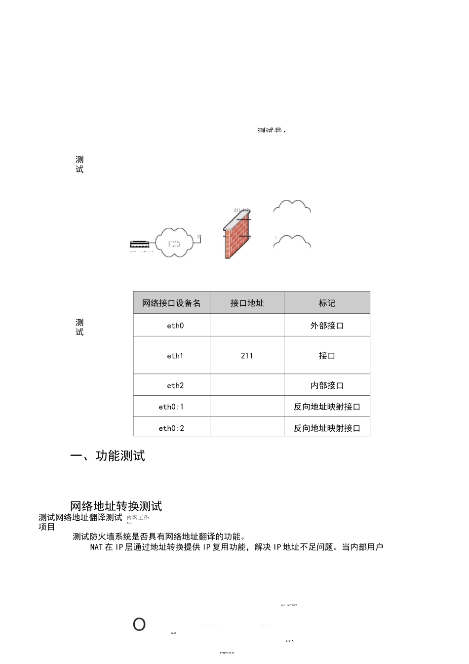
网络安全系统测试报告测试地点:中国XXX研究院测试单位:一、功能测试2网络地址转换测试2端口映射测试4IP地址和MAC地址绑定测试6基于用户名称过滤的测试7IP包过滤测试9带宽管理测试10日志记录测试12HTTP代理测试14FTP代理测试16SMTP代理测试18POP3代理测试20SNMP测试22SSL功能测试23SSH功能测试25二、配置规则测试27外网用户访问SSN区主机27外网用户访问SSN区主机27外网用户访问SSN区主机28外网用户访问SSN区主机29外网用户访问SSN区主机30SSN区主机访问外网31SSN区主机访问外网32SSN区主机访问外网33SSN区主机访问外网34SSN区主机访问外网35内网用户访问SSN区主机36内网用户访问SSN区主机36内网用户访问SSN区主机37内网用户访问SSN区主机38内网用户访问SSN区主机39内网用户访问外网40三、攻击测试41防火墙与IDS联动功能41端口扫描测试42测试号:测试测试网络接口设备名接口地址标记eth0外部接口eth1211接口eth2内部接口eth0:1反向地址映射接口eth0:2反向地址映射接口一、功能测试网络地址转换测试测试网络地址翻译测试项目测试防火墙系统是否具有网络地址翻译的功能。NAT在IP层通过地址转换提供IP复用功能,解决IP地址不足问题。当内部用户O192.168.1.2网内网工作站167.236.FW300.236.外部网SSN需用对外访问时,防火墙系统将会代理用户访问,并将结果透明的返回用户,相当于一个IP层代理。本测试用于测试防火墙是否具有NAT功能。我们根据实际应用进行测试,示意图如下:1.通过超级终端配置好各接口的IP地址、路由、接口属性。测试2.通过一次性口令认证,认证管理员的身份。步骤3.打开IE在URL中输入,设置为以下规则。端口映射测试测试号:测试项目服务器端口映射的测试测试内容测试防火墙系统是否具有服务器端口映射的测试的功能。提供Internet上用户从注册IP到内部保留IP的访问途径,可以将防火墙的注册IP的任一TCP/UDP端口映射到内部不同的保留IP的确端口上,即注册IP的—TCP/UDP端口对应内部保留IP的一TCP/UDP端口。我们根据实际网络环境进行测试,示意图如下:236.57167.236.58网络内网服务器192.168.1.14外部网络SSN区测试环境网络接口设备名接口地址标记eth0外部接口ethl8SSN接口eth2内部接口eth0:1反向地址映射接口eth0:2反向地址映射接口FW3000测试环境:笔记本一台(),内网服务器一台()内网工作站192.168.3.1031.通过一次性口令认证,认证管理员的身份。2.打开IE在URL中输入,。作如下规则:测试步骤4.选择NAT生效。www、5、在防火墙上做地址映射后,通过笔记本拨号到263,访问设置的映射地址的ftp服务测试结果预测结果如能成功访问内网的www,ftp,则测试通过。实测结果测试通过测试人员测试日期备注IP地址和MAC地址绑定测试测试号:测试项目IP地址和MAC地址绑定测试测试内容测试防火墙系统是否具有IP和MAC绑定的功能。防火墙通过IP地址和MAC地址绑定,可以防止IP地址被非法盗用。本测试用于测试防火墙是否具有此项功能。测试环境网络接口设备名接口地址标记ethO外部接口eth1接口eth2内部接口eth0:1反向地址映射接口eth0:2反向地址映射接口根据内部网的实际网络拓扑结构,所有客户端都通过路由器4500划分在不同的VLAN中,由于第三层设备存在,不具备实施IP地址与MAC地址绑定的网络环境。测试步骤测试结果预测结果实测结果测试通过测试人员测试日期备注。测试号:测试项目用户名称过滤的测测内测环网络接口设备名接口地址标记ethO外部接口eth1接口eth2内部接口eth0:1反向地址映射接口eth0:2反向地址映射接口测步基于用户名称过滤的测试测试防火墙系统是否具有用户名称过的测试以及用户名和IP绑定的测试。检查防火墙是否具有基于用户名称过滤的功能防火墙通过IP地址和用户名绑定,可以防止IP地址被非法盗用。本测试用于测试防火墙是否具有此项功能。我们根据实际网络环境进行测试,示意图如下:内网区中配置笔记本一台()和台式机一台()。1、打开IE在URL中输入,口令为TEST1,IP地址为掩码为。对象增加用户TEST,口令为TEST,IP地址为掩码为。6、在对象定义中选择用户组定义,增加用户组test和test1,分别将TEST和TEST1加入到test和GROUP1中。7、选择访问控制规则,允许tes...

1、当您付费下载文档后,您只拥有了使用权限,并不意味着购买了版权,文档只能用于自身使用,不得用于其他商业用途(如 [转卖]进行直接盈利或[编辑后售卖]进行间接盈利)。
2、本站所有内容均由合作方或网友上传,本站不对文档的完整性、权威性及其观点立场正确性做任何保证或承诺!文档内容仅供研究参考,付费前请自行鉴别。
3、如文档内容存在违规,或者侵犯商业秘密、侵犯著作权等,请点击“违规举报”。

碎片内容

网络安全系统测试报告

确认删除?
VIP
微信客服
  • 扫码咨询
会员Q群
  • 会员专属群点击这里加入QQ群
客服邮箱
回到顶部