电脑桌面
添加小米粒文库到电脑桌面
安装后可以在桌面快捷访问

实测实量控制技术方案VIP免费

实测实量控制技术方案_第1页
1/9
实测实量控制技术方案_第2页
2/9
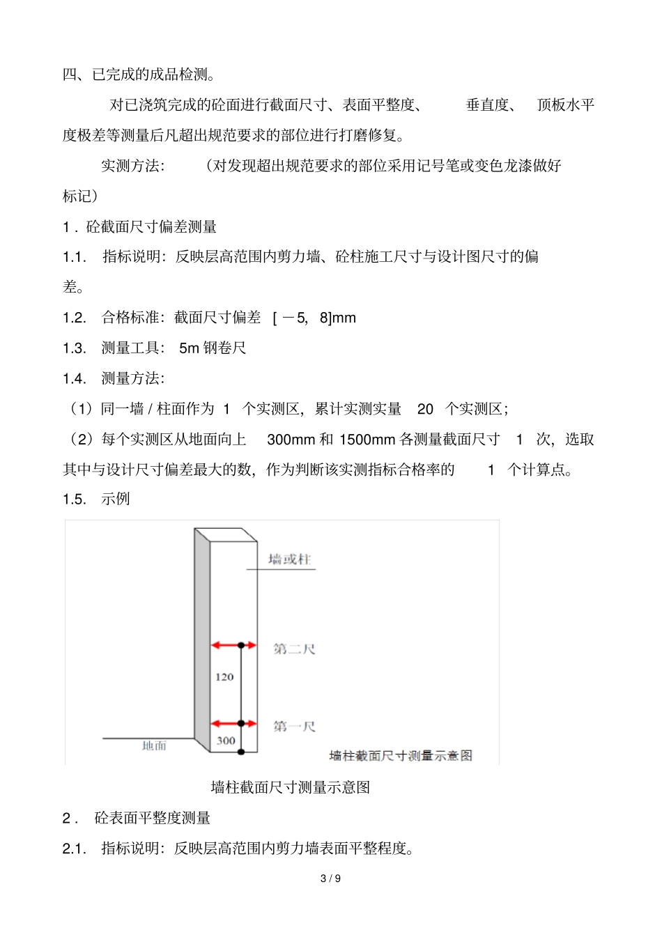
实测实量控制技术方案_第3页
3/9
1/9目录一、编制依据................................................2二、工程概况................................................2三、施工准备................................................3四、已完成的成品检测..................................3五已完成的成品检测.....................................3六、对正在进行施工的模板工程实施过程控制及实测实量.............8七、数据上墙2/9实测实量控制施工方案一、编制依据1、工程施工图纸;2、《建筑施工模板安全技术规范》(JGJ162-2008);3、《混凝土结构工程施工质量验收规范》(GB50204-2011);4、《建筑施工手册》第四版;5、《高层建筑混凝土结构技术规程》JGJ3-2010。6、《建筑工程施工质量验收规范》二、建筑概况:序号项目内容1工程名称福州碧桂园融侨·时代城工程2工程地点福州市晋安区3施工单位晨辉建筑工程(集团)有限公司4建设单位福州时代城房地产开发有限公司5监理单位福州中博建设监理有限公司6建筑概况建筑功能住宅建筑面积75006平方米建筑高度94.8米建筑层数32层建筑层高2.9米7结构概况基础结构形式桩基础主体结构形式钢筋混凝土结构屋盖结构形式平屋面三、施工准备1、测量工具准备:5m钢卷尺、2米靠尺、楔形塞尺、激光水平仪、塔尺、记号笔、线、吊具、粉笔、墨斗、人字梯、2、劳动力准备木工2人、质检员2人3/9四、已完成的成品检测。对已浇筑完成的砼面进行截面尺寸、表面平整度、垂直度、顶板水平度极差等测量后凡超出规范要求的部位进行打磨修复。实测方法:(对发现超出规范要求的部位采用记号笔或变色龙漆做好标记)1.砼截面尺寸偏差测量1.1.指标说明:反映层高范围内剪力墙、砼柱施工尺寸与设计图尺寸的偏差。1.2.合格标准:截面尺寸偏差[-5,8]mm1.3.测量工具:5m钢卷尺1.4.测量方法:(1)同一墙/柱面作为1个实测区,累计实测实量20个实测区;(2)每个实测区从地面向上300mm和1500mm各测量截面尺寸1次,选取其中与设计尺寸偏差最大的数,作为判断该实测指标合格率的1个计算点。1.5.示例墙柱截面尺寸测量示意图2.砼表面平整度测量2.1.指标说明:反映层高范围内剪力墙表面平整程度。4/92.2.合格标准:[0,8]mm2.3.测量工具:2米靠尺、楔形塞尺2.4.测量方法:(1)剪力墙/暗柱:选取长边墙,任选长边墙两面中的一面作为1个实测区,累计实测实量20个实测区;(2)当所选墙长度小于3米时,同一面墙4个角(顶部及根部)中取左上及右下2个角。按45度角斜放靠尺,累计测2次表面平整度。跨洞口部位必测。这2个实测值分别作为该指标合格率的2个计算点;(3)当所选墙长度大于3米时,除按45度角斜放靠尺测量两次表面平整度外,还需在墙长度中间水平放靠尺测量1次表面平整度。跨洞口部位必测。这3个实测值分别作为判断该指标合格率的3个计算点。2.4.示例平整度测量示意(注:第五尺仅用于有门洞墙体)3、砼结构垂直度3.1.指标说明:反映层高范围内剪力墙、砼柱表面垂直的程度。3.2.合格标准:[0,8]mm3.3.测量工具:2米靠尺5/93.4.测量方法:(1)剪力墙:任取长边墙的一面作为1个实测区,累计实测实量20个实测区;(2)当墙长度小于3米时,同一面墙距两端头竖向阴阳角约30cm位置,分别按以下原则实测2次:一是靠尺顶端接触到上部砼顶板位置时测1次垂直度,二是靠尺底端接触到下部地面位置时测1次垂直度。砼墙体洞口一侧为垂直度必测部位。这2个实测值分别作为判断该实测指标合格率的2个计算点;(3)当墙长度大于3米时,同一面墙距两端头竖向阴阳角约30cm和墙中间位置,分别按以下原则实测3次:一是靠尺顶端接触到上部砼顶板位置时测1次垂直度,二是靠尺底端接触到下部地面位置时测1次垂直度,三是在墙长度中间位置靠尺基本在高度方向居中时测1次垂直度。砼墙体洞口一侧为垂直度必测部位。这3个实测值分别作为判断该实测指标合格率的3个计算点;(4)砼柱:任选砼柱四面中的两面,分别将靠尺顶端接触到上部砼顶板和下部地面位时各测1次垂直度。这2个实测值分别作为判断该实测指标合格率的2个计算点。3.5.示例:4、砼结构顶板水平度极差4.1.指标说明:考虑实际测量的可操作性,选取同一功...

1、当您付费下载文档后,您只拥有了使用权限,并不意味着购买了版权,文档只能用于自身使用,不得用于其他商业用途(如 [转卖]进行直接盈利或[编辑后售卖]进行间接盈利)。
2、本站所有内容均由合作方或网友上传,本站不对文档的完整性、权威性及其观点立场正确性做任何保证或承诺!文档内容仅供研究参考,付费前请自行鉴别。
3、如文档内容存在违规,或者侵犯商业秘密、侵犯著作权等,请点击“违规举报”。

碎片内容

实测实量控制技术方案

您可能关注的文档

文库当当响+ 关注
实名认证
内容提供者

该用户很懒,什么也没介绍

确认删除?
VIP
微信客服
  • 扫码咨询
会员Q群
  • 会员专属群点击这里加入QQ群
客服邮箱
回到顶部