电脑桌面
添加小米粒文库到电脑桌面
安装后可以在桌面快捷访问

产品包装纸箱设计规范VIP免费

产品包装纸箱设计规范_第1页
1/7
产品包装纸箱设计规范_第2页
2/7
产品包装纸箱设计规范_第3页
3/7
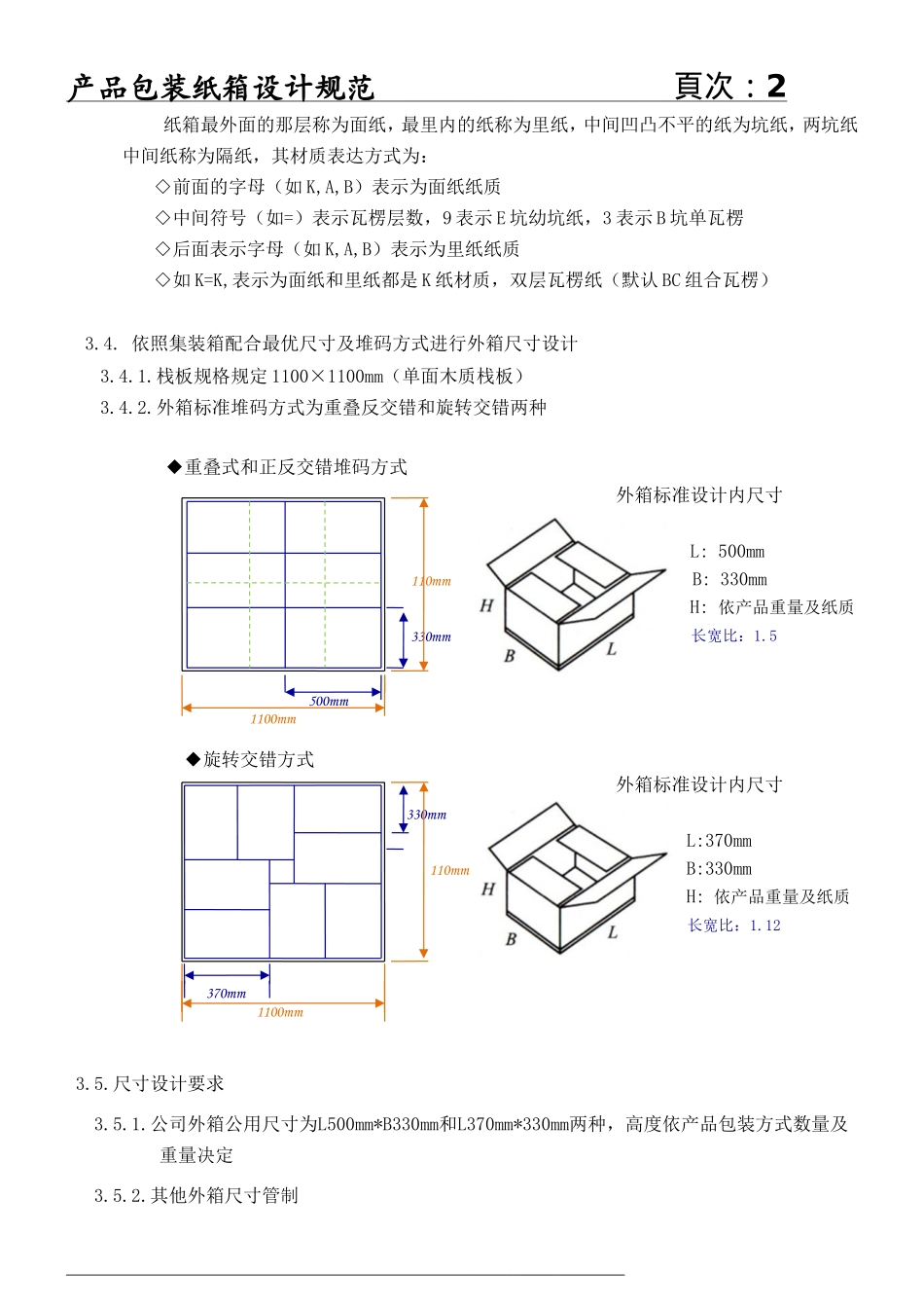
产品包装纸箱设计规范頁次:1文件名稱产品包装纸箱设计规范文件編號版本編制部門工程部編製日期頁碼71.目的规范产品包装纸箱设计要求,以确保产品在搬运,储存及运输过程中之品质保证。2.範圍本规范规定了本公司纸箱结构的一般性设计要求,规定,适用于本公司产品包装纸箱设计的相关部门3.瓦楞纸箱设计步骤内容:3.1.纸箱的结构选型(本公司包装箱一般采用GB/T6543-20080201型结构)3.2.纸箱单箱重量(毛重)规定根据国家标准,对人工搬运的单件包装箱最大重量规定为18kg,考虑到公司产品的特殊性及人员搬运操作方便性,公司规定产品包装单件重量不得大于15kg3.3.纸箱的材质规格箱型外销内销楞形瓦楞外箱公用K=A,特殊K=KA=ABC双内箱A3AB3BBC双纸盒A9A9B单隔板B3B3B单刀卡A9A9E单产品包装纸箱设计规范頁次:2纸箱最外面的那层称为面纸,最里内的纸称为里纸,中间凹凸不平的纸为坑纸,两坑纸中间纸称为隔纸,其材质表达方式为:◇前面的字母(如K,A,B)表示为面纸纸质◇中间符号(如=)表示瓦楞层数,9表示E坑幼坑纸,3表示B坑单瓦楞◇后面表示字母(如K,A,B)表示为里纸纸质◇如K=K,表示为面纸和里纸都是K纸材质,双层瓦楞纸(默认BC组合瓦楞)3.4.依照集装箱配合最优尺寸及堆码方式进行外箱尺寸设计3.4.1.栈板规格规定1100×1100mm(单面木质栈板)3.4.2.外箱标准堆码方式为重叠反交错和旋转交错两种◆重叠式和正反交错堆码方式外箱标准设计内尺寸L:500mm110mmB:330mmH:依产品重量及纸质330mm长宽比:1.5500mm1100mm◆旋转交错方式外箱标准设计内尺寸330mmL:370mm110mmB:330mmH:依产品重量及纸质长宽比:1.12370mm1100mm3.5.尺寸设计要求3.5.1.公司外箱公用尺寸为L500mm*B330mm和L370mm*330mm两种,高度依产品包装方式数量及重量决定3.5.2.其他外箱尺寸管制产品包装纸箱设计规范頁次:33.5.2.1.瓦楞纸箱的尺寸以内尺寸为标准,如需标注外尺寸应在尺寸前加“外”字,单位为毫米(mm),内尺寸就是纸箱内净空尺寸,以长、宽、高顺序表示,字母代号以L、B、H表示3.5.2.2.一般公差:单瓦楞纸箱±3mm,双瓦楞纸箱±5mm3.5.2.3.外尺寸应符合GB/T4892标准规定:◆长、宽之比不大于2.5:1(RL=1~1.5内最佳)◆宽、高之比不大于2:1,不小于0.15:13.5.2.4.纸箱尺寸展开图◆纸箱接头G的制造尺寸:单瓦楞纸板为30mm,双瓦楞纸板为40mm◆外尺寸在内尺寸基础上+纸板厚度3.6.瓦楞纸箱强度设计瓦楞纸箱的强度是评价瓦楞纸箱的重要指标,同时也是设计瓦楞纸箱的重要条件。根据瓦楞纸箱的实际应用情况,瓦楞纸箱的强度设计主要包括空箱抗压强度和堆码强度两方面。瓦楞纸箱的堆码强度是用于评估在包装件静态仓储情况下,瓦楞纸箱至堆垛坍塌时所能承受的最大负荷。通常情况,影响瓦楞纸箱堆码强度的主要因素包括:安全系数和最大堆码层数。3.6.1.堆码方式因为纸箱的受力主要是由它的棱角来承担的,所以平齐堆码比交错堆码强度要高(平齐堆码比交错堆码稳定性要差)。但在原木栈板运输时,由于木条间距的影响,平齐堆码强度确比交错堆码强度要低,而当包装件伸出栈板时,任何堆码强度都要降低。纸箱堆码有少许的偏差,强度也将大大降低。同时瓦楞纸箱箱角不要位于栈板木板的空隙处,因为这时纸箱不是四壁平均受力,而由悬空边角承担了过多的负荷。产品包装纸箱设计规范頁次:4瓦楞纸箱压力分布图▲四角承受抗压力强度为100%▲中部承受抗力强度约30%-40%(比较弱)3.6.2.印刷面积与印刷设计瓦楞纸板加工工序是先生产出瓦楞纸板,然后在瓦楞纸板上印刷。所以,在使用一般油性油墨印刷时,印刷压力能将瓦楞压溃,从而降低纸箱强度。因为纸箱的抗压强度主要依靠四个棱角来支持,距棱角越远,支撑力越小。端面两棱角间距小,支撑力比侧面大,所以受影响的变化也大。比如端面全印刷的抗压强度比无印刷约低34.9%,而侧面全印刷只降低26%,这就说端面印刷对纸箱强度的影响较侧面大。一般来说,随着印刷面积的增加,纸箱强度按比例下降。全印刷约下降40%。横向带状印刷,在中心幅宽50mm,约下降35%;在下沿幅宽50mm,约下降30%;在上下两边各印宽52mm,约下降37%。而在纸箱侧面、端面中心部均纵向印刷50mm...

1、当您付费下载文档后,您只拥有了使用权限,并不意味着购买了版权,文档只能用于自身使用,不得用于其他商业用途(如 [转卖]进行直接盈利或[编辑后售卖]进行间接盈利)。
2、本站所有内容均由合作方或网友上传,本站不对文档的完整性、权威性及其观点立场正确性做任何保证或承诺!文档内容仅供研究参考,付费前请自行鉴别。
3、如文档内容存在违规,或者侵犯商业秘密、侵犯著作权等,请点击“违规举报”。

碎片内容

产品包装纸箱设计规范

金钥匙书屋+ 关注
实名认证
内容提供者

热爱教育事业,爱好互联网行业

确认删除?
VIP
微信客服
  • 扫码咨询
会员Q群
  • 会员专属群点击这里加入QQ群
客服邮箱
回到顶部