电脑桌面
添加小米粒文库到电脑桌面
安装后可以在桌面快捷访问

包装盒委托打样合同VIP免费

包装盒委托打样合同_第1页
1/1
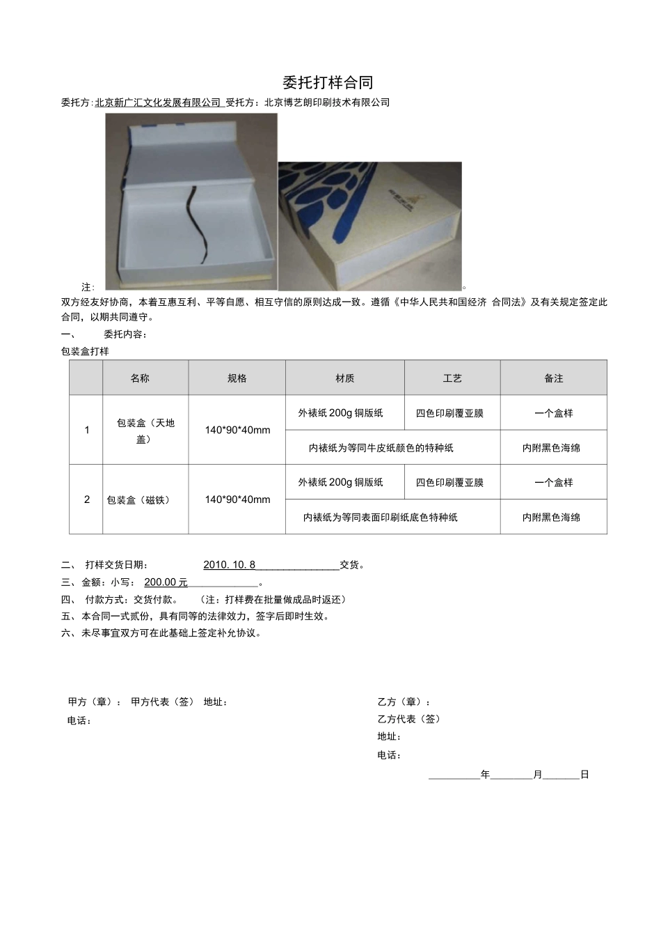
乙方(章):乙方代表(签)地址:电话:委托方:北京新广汇文化发展有限公司受托方:北京博艺朗印刷技术有限公司双方经友好协商,本着互惠互利、平等自愿、相互守信的原则达成一致。遵循《中华人民共和国经济合同法》及有关规定签定此合同,以期共同遵守。一、委托内容:包装盒打样名称规格材质工艺备注1包装盒(天地盖)140*90*40mm外裱纸200g铜版纸四色印刷覆亚膜一个盒样内裱纸为等同牛皮纸颜色的特种纸内附黑色海绵2包装盒(磁铁)140*90*40mm外裱纸200g铜版纸四色印刷覆亚膜一个盒样内裱纸为等同表面印刷纸底色特种纸内附黑色海绵二、打样交货日期:2010.10.8_______________交货。三、金额:小写:200.00元_______________。四、付款方式:交货付款。(注:打样费在批量做成品时返还)五、本合同一式贰份,具有同等的法律效力,签字后即时生效。六、未尽事宜双方可在此基础上签定补允协议。甲方(章):甲方代表(签)地址:电话:___________年_________月________日注:O委托打样合同

1、当您付费下载文档后,您只拥有了使用权限,并不意味着购买了版权,文档只能用于自身使用,不得用于其他商业用途(如 [转卖]进行直接盈利或[编辑后售卖]进行间接盈利)。
2、本站所有内容均由合作方或网友上传,本站不对文档的完整性、权威性及其观点立场正确性做任何保证或承诺!文档内容仅供研究参考,付费前请自行鉴别。
3、如文档内容存在违规,或者侵犯商业秘密、侵犯著作权等,请点击“违规举报”。

碎片内容

包装盒委托打样合同

确认删除?
VIP
微信客服
  • 扫码咨询
会员Q群
  • 会员专属群点击这里加入QQ群
客服邮箱
回到顶部