电脑桌面
添加小米粒文库到电脑桌面
安装后可以在桌面快捷访问

40.倾斜试验作业指导书

40.倾斜试验作业指导书_第1页
1/18
40.倾斜试验作业指导书_第2页
2/18
40.倾斜试验作业指导书_第3页
3/18
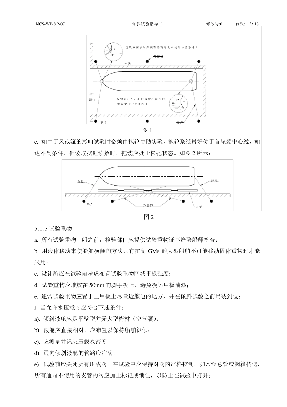
NCS-W P-8.2-07 倾斜试验指导书 修改号:0 页次: 1/ 18 倾斜试验作业指导书 1 、 目的 本指导书对船舶的倾斜试验作出了规定,目的是确定完工船舶的重量和重心位置,为校核船舶稳性提供最终数据。 2 、 适用范围 本指导书适用于下列情况船舶的倾斜试验: 2.1 首制船; 2.2 除船级社特别说明,一般情况下,首制船已做倾斜试验,后续船可通过空船重量测试获得空船重量及重心,但空船重量检查所确定的空船重量之误差超过 2%或重心纵向位置超过 1%,该船应重新进行倾斜试验。 3 、 定义(除另有明文规定外,本指导书所用定义如下) 3.1 倾斜试验系指,通常以横向移动已知的系列重物,然后测量船舶平衡倾角的变化结果,使用这一数据并运用基础造船学原理来确定船舶的重心垂向位置(VCG); 3.2 试验重物证书:系指某船级社现场验船师使用经认可的衡器来鉴定尺寸规则的试验重物的重量所签发的证书; 3.3 吃水:系指从型基线至水线的垂直距离; 3.4 空船状态:系指完工船舶没有装载船用消耗备品、物料、货物、船员、行李以及除机械和管系液体,如润滑剂和液压油位于工作状态以外,没有装载任何液体的状态; 3.5 空船重量测验:系指在倾斜试验时对船上应予增减或重新设置的所有项目进行审核,以使该船能从观测状态调整至空船状态。每一项目的重量和纵向、横向、垂向位置应予准确确定并记录下来。使用这一资料以及在船舶倾斜试验时,通过测量干舷或经核实的船舶吃水标志,船舶静水力数据和水密度,而确定的船舶的静浮水线。可得出空船排水量和重心纵向位置(LCG); 3.6 试验主持人为公司对特定船舶进行倾斜试验所指定的项目负责人,在试验过程中负责指挥、协调,对试验结果负责。 4 、 职责 4.1 船舶设计所:编写“倾斜试验大纲”并得到船东、船检的确认,试验时摆锤读数等原始数据的记录,倾斜试验报告的准备和送审相关技术资料的提供; 4.2 检验部门:提供试验的测试仪器,测量试验时船上多余重量和不足重量并按附表三和附表四填写且获得船东、船检的确认,提供试验重物证书,检查和确认倾斜试验的准备工NCS-WP-8.2-07 倾斜试验指导书 修改号:0 页次: 2/ 18 作完成状况,参与试验; 4.3 船舶工程部:按倾斜试验大纲要求,为试验提供充分条件,如试验油槽、挂锤、试验重物的布置和移位,船舶清洁、压载、系缆、松缆等; 4.4 总调度室:协调拖轮到位。 5 、 实施 5.1 试验的准备工作 5.1.1 自由...

1、当您付费下载文档后,您只拥有了使用权限,并不意味着购买了版权,文档只能用于自身使用,不得用于其他商业用途(如 [转卖]进行直接盈利或[编辑后售卖]进行间接盈利)。
2、本站所有内容均由合作方或网友上传,本站不对文档的完整性、权威性及其观点立场正确性做任何保证或承诺!文档内容仅供研究参考,付费前请自行鉴别。
3、如文档内容存在违规,或者侵犯商业秘密、侵犯著作权等,请点击“违规举报”。

碎片内容

40.倾斜试验作业指导书

小辰8+ 关注
实名认证
内容提供者

出售各种资料和文档

确认删除?
VIP
微信客服
  • 扫码咨询
会员Q群
  • 会员专属群点击这里加入QQ群
客服邮箱
回到顶部