电脑桌面
添加小米粒文库到电脑桌面
安装后可以在桌面快捷访问

胶合板模板的技术指标与进场验收VIP免费

胶合板模板的技术指标与进场验收_第1页
1/11
胶合板模板的技术指标与进场验收_第2页
2/11
胶合板模板的技术指标与进场验收_第3页
3/11
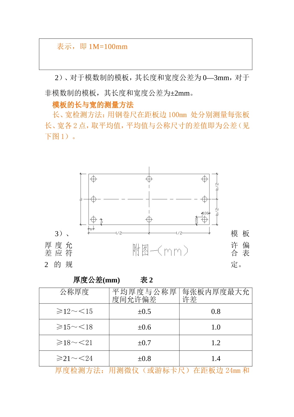
胶合板模板的技术指标与进场验收建筑工程中砼用木胶合板模板,参考标准是国标《混凝土模板用胶合板》GB/T17656-2008、《人造板的尺寸测定》GB/T19367-2009。一、种类:木胶合板模板一般有三种1、未经表面处理的胶合板模板(简称素板);2、经过树脂饰面处理的胶合板模板(简称涂胶板);3、经过浸渍胶膜纸贴面处理的胶合板模板(简称覆膜板)二、要求:1、尺寸和公差要求:1)、胶合板模板的规格尺寸应符合表1的规定。规格尺寸(mm)表1幅面尺寸厚度模数制非模数制宽度长度宽度长度9151830≥12~<15≥15~<18≥18~<21≥21~<24900180012201830100020009152135120024001220244012502600注:1、其他规格尺寸由供需双方协议;2、本章提到的模数是指建筑模数(constructionmodule),建筑设计中,统一选定的协调建筑尺度的增值单位,用M表示,即1M=100mm2)、对于模数制的模板,其长度和宽度公差为0—3mm,对于非模数制的模板,其长度和宽度公差为±2mm。模板的长与宽的测量方法长、宽检测方法:用钢卷尺在距板边100mm处分别测量每张板长、宽各2点,取平均值,平均值与公称尺寸的差值即为公差(见下图1)。3)、模板厚度允许偏差应符合表2的规定。厚度公差(mm)表2公称厚度平均厚度与公称厚度间允许偏差每张板内厚度最大允许差≥12~<15±0.50.8≥15~<18±0.61.0≥18~<21±0.71.2≥21~<24±0.81.4厚度检测方法:用测微仪(或游标卡尺)在距板边24mm和50mm之间测量胶合板模板的厚度,测点位于每个角及每个边的中间,既长短边分别测3点、1点,取8点平均值;平均值与公称厚度之差为偏差(见上图1)。4)、胶合板模板对角线长度允许偏差及翘曲度限值见表3及表4胶合板模板两对角线长度允许偏差(㎜)表3胶合板公称长度两对角线长度之差≤1220>1220~≤1830>1830~≤2135>21353456胶合板模板翘曲度限值表4厚度等级A等板B等板12㎜以上不得超过0.5%不得超过1%注:翘曲度以胶合板模板对角线最大弦高与对角线长度之比来表示。①对角线差检测方法:用钢卷尺测量两对角线之差。②翘曲度检测方法:用钢直尺量对角线长度,并用楔形塞尺(或钢卷尺)量钢直尺与板面间最大弦高,后者与前者的比值为翘曲度;对角线长度允许偏差及翘曲度限值见表3及表4。5)、板的垂直度不得超过0.8mm/m。把直角尺的一个边靠着胶合板模板的一个边,测量其垂直度(见附图2),在距板角(1000±1)mm处,通过测量直角尺另一臂与板边间的间距(见附图2)。6)、板的四边边缘垂直度不得超过1.0mm/m。把直尺对着一个板的边(或在板的两角放置金属线且拉直),然后测量直尺(或拉直金属线)与板边之间的最大偏差。2、板的结构要求1)、相邻两层单板的木纹应相互垂直,中心层两侧对称层的单板应为同一树种或物理力学性能相似的树种和同一厚度。2)、应考虑成品结构的均匀性,组坯时表板和与表板纤维方向相同的各层单板厚度总和应不小于板坯厚度的40%,不大于60%。板的层数应不小于7层。表板厚度应不小于1.2mm,覆膜板表板厚度应不小于0.8mm。3)、同一层表板应为同一树种。4)、板中不得留有影响使用的夹杂物。拼逢用的无孔胶纸带不得用于胶合板内部。如用其拼接或修补面板,除不修饰外,应除去胶纸带,并不留有明显胶纸痕。3、树种要求胶合板模板用材的树种为:马尾松、云南松、落叶松、辐射松、杨木、桦木、荷木、枫香、拟赤杨、柳安、奥克榄、克隆、阿必东等。4、胶粘剂要求1)、胶合板模板的胶粘剂应采用酚醛树脂或性能相当的树脂。2)、树脂饰面处理的应采用酚醛树脂或性能相当的树脂。3)、覆膜用的树脂应采用酚醛树脂或性能相当的树脂。注:酚醛树脂是由苯酚和甲醛在催化剂条件下缩聚、经中和、水洗而制成的树脂。5、等级与允许缺陷1)、一般通过目测成品板上允许缺陷来判定其等级。等级取决于允许的材质缺陷、加工缺陷以及对拼接的要求。2)、胶合板模板(素板)按成品板上可见的材质缺陷和加工缺陷分成两个等级:A等品(优等品)和B等品(合格品),其允许缺陷应符合表5的规定。砼模板用胶合板(素板)外观分等的允许缺陷表5缺陷种类检量项目检量单位面板背板A等品B等品木材异常结构允许活节、半活节、死节...

1、当您付费下载文档后,您只拥有了使用权限,并不意味着购买了版权,文档只能用于自身使用,不得用于其他商业用途(如 [转卖]进行直接盈利或[编辑后售卖]进行间接盈利)。
2、本站所有内容均由合作方或网友上传,本站不对文档的完整性、权威性及其观点立场正确性做任何保证或承诺!文档内容仅供研究参考,付费前请自行鉴别。
3、如文档内容存在违规,或者侵犯商业秘密、侵犯著作权等,请点击“违规举报”。

碎片内容

胶合板模板的技术指标与进场验收

确认删除?
VIP
微信客服
  • 扫码咨询
会员Q群
  • 会员专属群点击这里加入QQ群
客服邮箱
回到顶部