电脑桌面
添加小米粒文库到电脑桌面
安装后可以在桌面快捷访问

压力容器施工方案VIP免费

压力容器施工方案_第1页
1/7
压力容器施工方案_第2页
2/7
压力容器施工方案_第3页
3/7
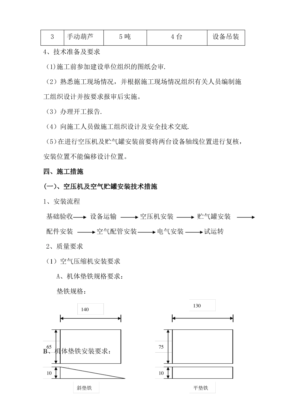
XXXX地技术改造空气压缩机及10m3空气贮罐安装工程一、工程概况该工程为XXXXXX异地技术改造工程中,主厂房空气压缩机及10m3贮气罐安装工程.工程主要包括一台空气压缩机及配件、一台空气贮气罐及40米空气配管安装。二、目标策划1、工程施工质量目标:工程合同覆约率100%;工程执行新版GB50300《建筑工程施工质量验收统一标准》及行MT5010---95、GB50303—2002相关专业标准;检验批质量验收合格,分项工程质量验收合格,分部工程质量验收合格,单位工程质量验收合格;执行合同质量目标承诺2、工程施工工期目标:总工期31天。3、工程施工造价目标:严格遵照建设方认可的设计文件施工,积极向建设方提出各种优化建议,避免或减少不必要的工程变更发生,为建设单位节约建设资金。4、工程施工安全目标:杜绝重伤及以上事故.5、文明施工目标(1)“三宝"、“四口”防护合格;(2)施工临时用电合格;(3)起重吊装合格;(4)施工机具合格;(5)文明施工合格;(6)安全管理合格;三、施工准备1、组织机构序号职责12345678项目负责人现场负责人现场安全负责人现场技术负责人现场起重负责人现场测量员姓名XXXXXXXXXXXXXXXXXX备注项目临时用电技术负责人XXX项目临时用电管理员XXX2、人力资源计划序号123456工种起重工钳工焊工电工管工辅助工人数1人4人2人1人3人10人职责起重作业信号指挥非标焊接现场电气维护空气管道安装配合各工种3、主要施工机具计划序号名称12汽车吊载重汽车规格型号25吨10吨数量1辆1辆备注设备运输设备运输3手动葫芦5吨4台设备吊装4、技术准备及要求(1)施工前参加建设单位组织的图纸会审.(2)熟悉施工现场情况,并根据施工现场情况组织有关人员编制施工组织设计并按要求报审后实施。(3)办理开工报告.(4)向施工人员做施工组织设计及安全技术交底.(5)在进行空压机及贮气罐安装前要将两台设备轴线位置进行复核,安装位置不能偏移设计位置。四、施工措施(一)、空压机及空气贮罐安装技术措施1、安装流程基础验收设备运输空压机安装贮气罐安装配件安装空气配管安装电气安装试运转2、质量要求(1)空气压缩机安装要求A、机体垫铁规格要求:垫铁规格:B、机体垫铁安装要求:10斜垫铁657514013010平垫铁项次项目1每层垫铁层数允许偏差+1层-2层检验方法检查工程施工记录234垫铁总高度不少于60mm平垫铁露出设备边缘10~30mm斜垫铁露出设备边缘10~50mm-10mm±5mm±5mmC、机体安装要求a、机体安装纵横向水平度偏差严禁超过0.2/1000。b、机体安装位置允许偏差:项次项目1234机体位置机体标高多台机体位置相对差多台机体标高相互差允许偏差10mm±10mm15mm20mm检验方法吊线尺量检查水平仪检查吊线尺量检查水平仪检查C、联轴器安装项次项目12联轴器端面间隙联轴器同轴度标准(mm)允许偏差2mm径向位移:0。1倾斜:0。8/1000D、进排气阀注入煤油检验其密封性.E、压缩机水压试验必须符合下列规定:a、中间冷却器试验压力为低压缸排气压力的1.5倍,持续5分钟无渗漏现象;b、气缸水套试验压力应为0.3mp,持续5分钟无渗漏现象.F、压力表安装位置必须符合设计要求,且使用灵敏可靠。G、附属设备安装a、风包、后冷却器等承受压力的附属设备必须按设备技术文件的规定进行强度和严密性试验。强度试验以水为介质持续5分钟,不渗漏或变形。b、附属设备支架(托、梁)和座(墩)的安装应符合下列规定:○合格位置正确,埋设平整牢固。○合格油漆种类和涂刷遍数符合设计要求,附着良好,无脱皮、起泡、漏涂现象。c、附属设备安装的允许偏差和检验方法应符合下表规定。项次项目12卧式设备水平度立式设备垂直度允许偏差1/10001/1000检验方法水平仪检查吊线检查(2)管道安装A、管子、管件、阀门及支吊架弹簧的材质、规格、型号必须符合设计要求和规范规定。B、管子及管件安装前必须以1.5倍的工作压力进行水压试验,持续5分钟无渗漏现象C、阀门安装必须启闭灵活可靠,开度指示器指示正确。(3)试运转A、空气压缩机负荷试运转时间必须符合下列规定:a、空气压缩机试运转时间必须大于2小时。b、空气压缩机能安全起动,升压、释压、运行正常;c、空气压缩机的排气压力等性能指标应达到设备技术文件的规定;d、各运动部件...

1、当您付费下载文档后,您只拥有了使用权限,并不意味着购买了版权,文档只能用于自身使用,不得用于其他商业用途(如 [转卖]进行直接盈利或[编辑后售卖]进行间接盈利)。
2、本站所有内容均由合作方或网友上传,本站不对文档的完整性、权威性及其观点立场正确性做任何保证或承诺!文档内容仅供研究参考,付费前请自行鉴别。
3、如文档内容存在违规,或者侵犯商业秘密、侵犯著作权等,请点击“违规举报”。

碎片内容

压力容器施工方案

您可能关注的文档

确认删除?
VIP
微信客服
  • 扫码咨询
会员Q群
  • 会员专属群点击这里加入QQ群
客服邮箱
回到顶部