电脑桌面
添加小米粒文库到电脑桌面
安装后可以在桌面快捷访问

结构防水实例讲解VIP专享VIP免费

结构防水实例讲解_第1页
1/7
结构防水实例讲解_第2页
2/7
结构防水实例讲解_第3页
3/7
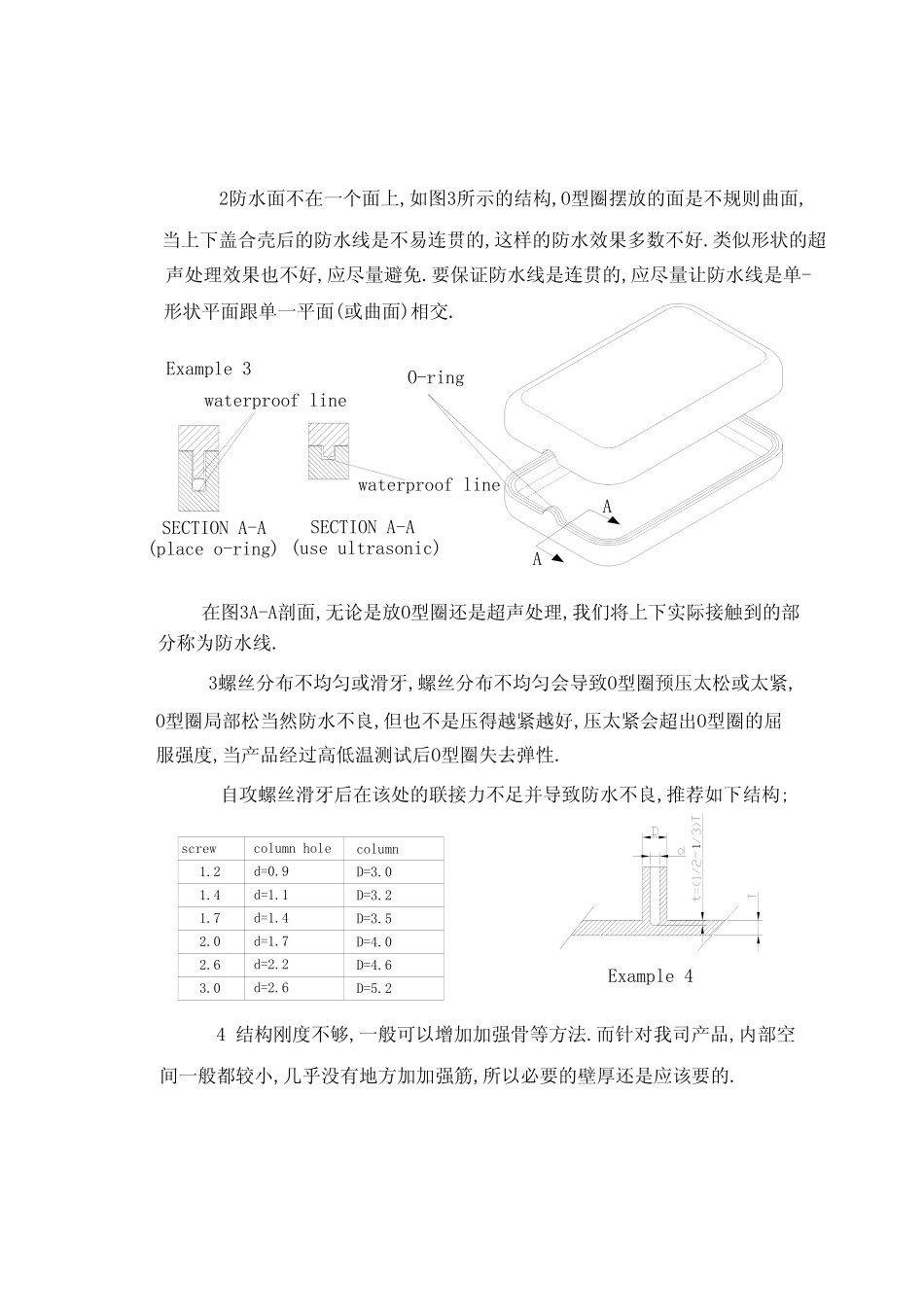
关于防水产品的一般思路多数产品防水主要是上下壳防水,按键防水,电池门防水,传感器引出部分防水,常用的防水方法主要有打胶水,超声,二次啤塑,啤镶件,装O型圈.防水不良的原因主要有塑胶变形;防水面不在一条线;O型圈预压太松或太紧;结构刚度不够;螺丝分布不均匀或滑牙等.1塑胶变形的弊端是明显的,防止变形的方法也很多,如改进胶口,改运水,做加强骨,加大脱模斜度等.对于部分产品,引起变形的主要原因还是由于受外形限制导致前后壳需曲面分型,或内部空间太小导致塑胶件壁厚变化大产引起的.Example1RearcoverFrontcover如图1所示形状产品,由于塑胶啤塑残余应力的影响,容易产生变形,这类产品如果做防水,为减少变形,除增加加强骨,加大脱模斜度,相关位置增加顶出位外,必要时在产品刚啤塑出来时做夹具定位定型,并置于温水中自然冷却减少残余应力.当然,图示产品如果要做防水,不一定非要像图1右边那样做成上下盖结构,这里只是举类似的范例.FrontcoverLensLCDThicknesstransitionurgentExample2LCDLensFrontcoverPCBMetalbracketThicknesstransitionrelax如图2产品,在透明镜外有外壳,如果不需防水,左图结构虽然有少许变形,仍然可用.如果透明镜还要和后壳通过O型圈防水,建议最好用右图接构,用0.15的金属罩将LCD和PCB包住,打螺丝固定在镜片上,这样的塑胶啤塑变形要小一些.2防水面不在一个面上,如图3所示的结构,O型圈摆放的面是不规则曲面,O-ringExample3当上下盖合壳后的防水线是不易连贯的,这样的防水效果多数不好.类似形状的超声处理效果也不好,应尽量避免.要保证防水线是连贯的,应尽量让防水线是单-形状平面跟单一平面(或曲面)相交.AASECTIONA-A(placeo-ring)(useultrasonic)SECTIONA-Awaterprooflinewaterproofline在图3A-A剖面,无论是放O型圈还是超声处理,我们将上下实际接触到的部分称为防水线.3螺丝分布不均匀或滑牙,螺丝分布不均匀会导致O型圈预压太松或太紧,O型圈局部松当然防水不良,但也不是压得越紧越好,压太紧会超出O型圈的屈服强度,当产品经过高低温测试后O型圈失去弹性.自攻螺丝滑牙后在该处的联接力不足并导致防水不良,推荐如下结构;screwcolumnholecolumn1.2d=0.9D=3.01.4d=1.1D=3.21.7d=1.4D=3.52.0d=1.7D=4.02.63.0d=2.6d=2.2D=4.6D=5.214结构刚度不够,一般可以增加加强骨等方法.而针对我司产品,内部空间一般都较小,几乎没有地方加加强筋,所以必要的壁厚还是应该要的.Example4Example5如图5所示镜片,通过4个螺丝固定在底壳上,在A图中螺丝孔太靠边,塑胶最薄处只有0.8mm,从图示的进胶口看,在螺丝空的对面都会有融接面,虽然通过提高ABInjectionplasticentranceBlendplaneBlendplane前模温度使夹水纹看不到,但融接面还是实际存在的.当塑胶在受力状态下经过高低温测试,容易断裂.建议螺丝孔位改为B图,保证最小壁厚至少为1.5mm.通过对以上常见防水不良现象的分析,我们可以针对部分产品的一些防水部分的结构进行探讨.1上下壳联接部分的防水.当采用矩型底时,O型圈的预压取0.25-0.30mm,槽的尺寸H大于O型圈直径D0.15-0.2mm.直径D0.15-0.2mm.取0.20-0.25mm,槽的尺寸H大于O型圈当采用圆型底时,O型圈的预压Example6Injectionplasticentranceo-ringo-ringrectanglestandcirclestand2电池门防水.如果是普通干电池,建议采用下图结构.placeo-ringinsertbrassnut如果是钮扣电池,当空间足够时建议首选下图左图结构,右图为次选.Example7o-ringo-ringo-ringrearcoverbatterydoorrearcoverbatterydoor3按键位防水Example8图9塑胶按键塑胶外壳按键组合图9的按键组合在很多钟表产品上都用过,一般都能达到IP46等级,防水效果符合多数要求.而且体积小,在许多钟表配件生产厂家是做为成品生产的,从长度,最大外径,防水等级有多种规格供选择.在产品空间较小时建议用此结构方案.埚仔片请不必怀疑这个凸台的装配合理性,这个防水按的非常小,凸台是装好后冷挤压出来的。而且这个图画得较夸张,各位随便买一个回来看就知道了。按键组合(防水按的)siliconrubberbuttonplasticcoverPCBExample10图10所示按键防水方式当产品内部空间足够时可适当采用,直接将硅胶按键用PCB板打螺丝固定在塑胶上盖,做这种结构时,螺丝柱的...

1、当您付费下载文档后,您只拥有了使用权限,并不意味着购买了版权,文档只能用于自身使用,不得用于其他商业用途(如 [转卖]进行直接盈利或[编辑后售卖]进行间接盈利)。
2、本站所有内容均由合作方或网友上传,本站不对文档的完整性、权威性及其观点立场正确性做任何保证或承诺!文档内容仅供研究参考,付费前请自行鉴别。
3、如文档内容存在违规,或者侵犯商业秘密、侵犯著作权等,请点击“违规举报”。

碎片内容

结构防水实例讲解

确认删除?
VIP
微信客服
  • 扫码咨询
会员Q群
  • 会员专属群点击这里加入QQ群
客服邮箱
回到顶部