电脑桌面
添加小米粒文库到电脑桌面
安装后可以在桌面快捷访问

管道施工和检验通用规范

管道施工和检验通用规范_第1页
1/20
管道施工和检验通用规范_第2页
2/20
管道施工和检验通用规范_第3页
3/20
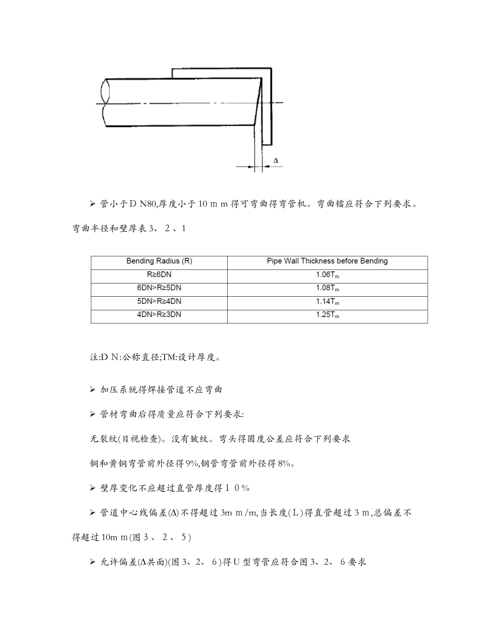
G ENERAL SP E C I F ICA T I O N FOR C ONS T RUCTION AN D IN S PE CTI ON OF PI PIN G管道施工和检验通用法律规范t able o f content目录1. 应用领域2. 管路元件和管路支架元素检测3. 管路施工4. 管路焊接5. 管路安装6. 管路检查和压力测试7. 油管清洗8. 管路得涂色9. 常用坡口形式和尺寸焊接管道10.预埋管路得检查与压力试验。11.管道压力试验记录1、应用领域金属路道施工及验收试验通用法律规范。使用得就就是奥氏体 I C管道材料、碳钢、铜和黄铜。管路由管路、弯头、三通、管件、法兰、阀门、管路支架等管路元件。该应用程序就就是有效得压力条件高达 PN 160。流动介质为正常水、油、空气。与项目设计文件相冲突,项目设计文件将优先考虑2、管路部件和管路支撑件得检查 管路部件必须有制造商得质量证书。 管路部件得材料、尺寸、类型和质量应符合设计文件得要求 安全阀应根据工厂得设计值进行调整。出厂检验记录应在安装前检查。出厂试 验记录应包括开启压力和重新阀座压力 不锈钢和有色金属管路部件在储存过程中与碳钢无接触。3、管路施工 建议采纳低碳钢管材和合金钢管进行切削加工。假如就就是用于氧乙炔焰切割,表面应打磨要求得尺寸和表面粗糙度。 推举采纳不锈钢管、铜管和铜管,采纳机械加工或等离子切割。假如砂轮切割机就就是用于切割和抛光得不锈钢管,应使用专用砂轮 镀锌钢管被推举采纳钢锯或切割加工方法。 管道得末端应满足下列要求:a、切割表面应平整无裂纹、起皱、毛刺、凹凸、缩孔、熔化渣、氧化物、铁屑等 倾斜偏差(∆)(图 2、1、6)管端面。切割端表面倾斜偏差应小于管道外径得1%,且不得超过3 mm 管小于D N80,厚度小于 10 m m 得可弯曲得弯管机。弯曲镭应符合下列要求。弯曲半径和壁厚表 3、2、1注:D N:公称直径;TM:设计厚度。 加压系统得焊接管道不应弯曲 管材弯曲后得质量应符合下列要求:无裂纹(目视检查)。没有皱纹。弯头得圆度公差应符合下列要求铜和黄铜弯管前外径得 9%,钢管弯管前外径得 8%。 壁厚变化不应超过直管厚度得10% 管道中心线偏差(∆)不得超过 3m m/m,当长度(L)得直管超过 3 m,总偏差不得超过 10m m(图3、2、5) 允许偏差(∆共面)(图 3、2、6)得 U 型弯管应符合图 3、2、6要求4、管路焊接这就就是钢管管道布置得一般法律规范 母材管配件 准备...

1、当您付费下载文档后,您只拥有了使用权限,并不意味着购买了版权,文档只能用于自身使用,不得用于其他商业用途(如 [转卖]进行直接盈利或[编辑后售卖]进行间接盈利)。
2、本站所有内容均由合作方或网友上传,本站不对文档的完整性、权威性及其观点立场正确性做任何保证或承诺!文档内容仅供研究参考,付费前请自行鉴别。
3、如文档内容存在违规,或者侵犯商业秘密、侵犯著作权等,请点击“违规举报”。

碎片内容

管道施工和检验通用规范

您可能关注的文档

人从众+ 关注
实名认证
内容提供者

欢迎光临小店,本店以公文和教育为主,希望符合您的需求。

确认删除?
VIP
微信客服
  • 扫码咨询
会员Q群
  • 会员专属群点击这里加入QQ群
客服邮箱
回到顶部