电脑桌面
添加小米粒文库到电脑桌面
安装后可以在桌面快捷访问

珍珠棉检验规范

珍珠棉检验规范_第1页
1/4
珍珠棉检验规范_第2页
2/4
珍珠棉检验规范_第3页
3/4
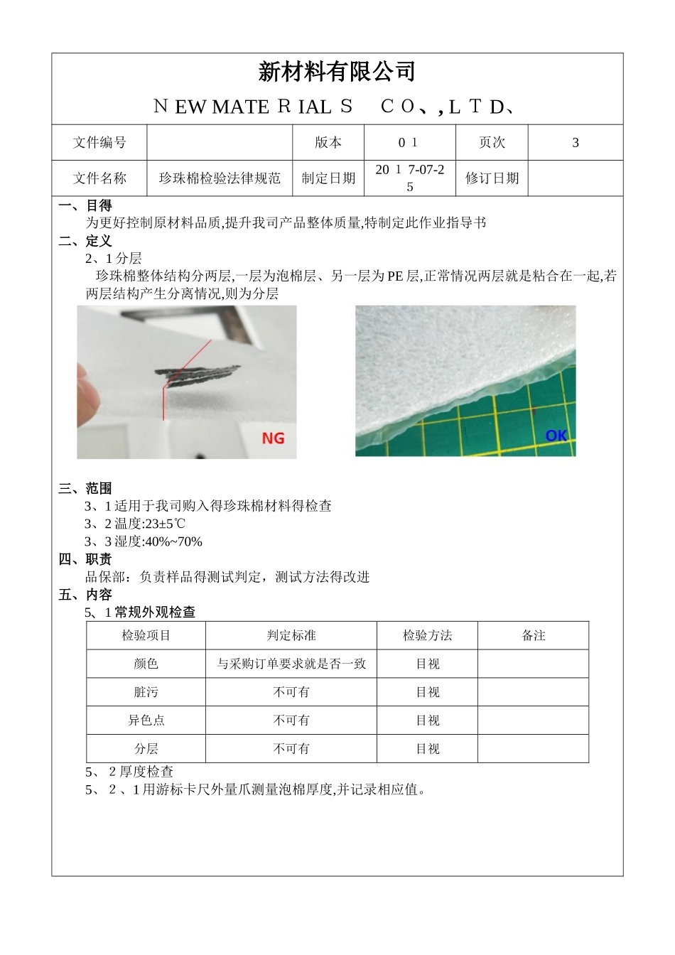
新材料有限公司N EW MATERIA L S CO、, LTD、部门品保部文件编号版本0 1文件名称珍珠棉检验法律规范制定日期2025-07-2 5 版本 修订内容 修订人 修订日期01 初次发行 新材料有限公司N EW MATE R IAL S CO、, L T D、文件编号版本0 1页次3文件名称珍珠棉检验法律规范制定日期20 1 7-07-25修订日期一、目得为更好控制原材料品质,提升我司产品整体质量,特制定此作业指导书二、定义 2、1 分层 珍珠棉整体结构分两层,一层为泡棉层、另一层为 PE 层,正常情况两层就是粘合在一起,若两层结构产生分离情况,则为分层三、范围3、1 适用于我司购入得珍珠棉材料得检查3、2 温度:23±5℃3、3 湿度:40%~70%四、职责品保部:负责样品得测试判定,测试方法得改进五、内容5、1 常规外观检查检验项目判定标准检验方法备注颜色与采购订单要求就是否一致目视 脏污不可有目视 异色点不可有目视 分层不可有目视 5、2厚度检查5、2、1 用游标卡尺外量爪测量泡棉厚度,并记录相应值。5、3 宽度测量5、3、1 用卷尺测量泡棉得宽度,并记录相应值5、4 单位面积克重测量5、4、1 用 150mm*200 m m 定量治具裁切待测样品,再用天平测量 150m m*20 0 mm 标准样品重量,并记录相应值 六、参考资料无七、表单记录《 I Q C 检验检验记录表 》八、附件 8、1 检验项目标准一览表检验项目判定标准检验方法/工具备注颜色与采购订单要求就是否一致目视 脏污不可有目视 异色点不可有目视 分层不可有目视 宽度Standard Value ±2mm卷尺 厚度Standard Value 游标卡尺 ±0、3mm克重标准值±0、3g天平 核定审核/作成

1、当您付费下载文档后,您只拥有了使用权限,并不意味着购买了版权,文档只能用于自身使用,不得用于其他商业用途(如 [转卖]进行直接盈利或[编辑后售卖]进行间接盈利)。
2、本站所有内容均由合作方或网友上传,本站不对文档的完整性、权威性及其观点立场正确性做任何保证或承诺!文档内容仅供研究参考,付费前请自行鉴别。
3、如文档内容存在违规,或者侵犯商业秘密、侵犯著作权等,请点击“违规举报”。

碎片内容

珍珠棉检验规范

您可能关注的文档

确认删除?
VIP
微信客服
  • 扫码咨询
会员Q群
  • 会员专属群点击这里加入QQ群
客服邮箱
回到顶部