电脑桌面
添加小米粒文库到电脑桌面
安装后可以在桌面快捷访问

钣金产品展开计算标准VIP免费

钣金产品展开计算标准_第1页
1/7
钣金产品展开计算标准_第2页
2/7
钣金产品展开计算标准_第3页
3/7
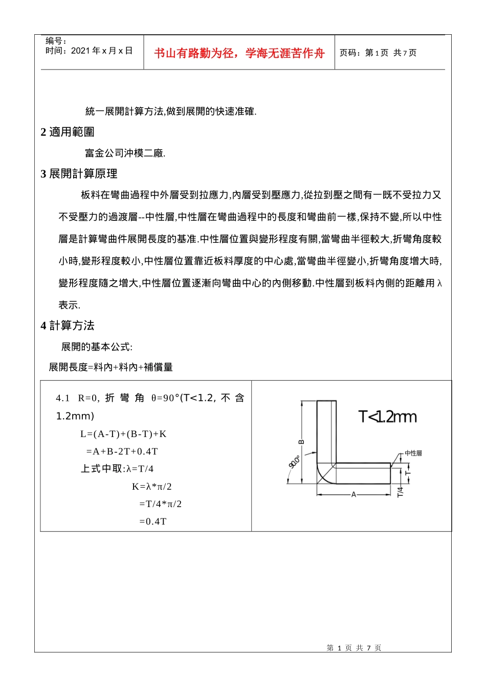
第1页共7页编号:时间:2021年x月x日书山有路勤为径,学海无涯苦作舟页码:第1页共7页統一展開計算方法,做到展開的快速准確.2適用範圍富金公司沖模二廠.3展開計算原理板料在彎曲過程中外層受到拉應力,內層受到壓應力,從拉到壓之間有一既不受拉力又不受壓力的過渡層--中性層,中性層在彎曲過程中的長度和彎曲前一樣,保持不變,所以中性層是計算彎曲件展開長度的基准.中性層位置與變形程度有關,當彎曲半徑較大,折彎角度較小時,變形程度較小,中性層位置靠近板料厚度的中心處,當彎曲半徑變小,折彎角度增大時,變形程度隨之增大,中性層位置逐漸向彎曲中心的內側移動.中性層到板料內側的距離用λ表示.4計算方法展開的基本公式:展開長度=料內+料內+補償量4.1R=0,折彎角θ=90°(T<1.2,不含1.2mm)L=(A-T)+(B-T)+K=A+B-2T+0.4T上式中取:λ=T/4K=λ*π/2=T/4*π/2=0.4T第2页共7页第1页共7页编号:时间:2021年x月x日书山有路勤为径,学海无涯苦作舟页码:第2页共7页4.2R=0,θ=90°(T≧1.2,含1.2mm)L=(A-T)+(B-T)+K=A+B-2T+0.5T上式中取:λ=T/3K=λ*π/2=T/3*π/2=0.5T4.3R≠0θ=90°L=(A-T-R)+(B-T-R)+(R+λ)*π/2當R≧5T時λ=T/21T≦R<5Tλ=T/30:L=A-T+C+B+K(3)當C≦3T時<一次成型>:L=A-T+C+B+K/24.7Z折2.C≦3T時<一次成型>:L=A-T+C+B+D+K4.8抽芽抽芽孔尺寸計算原理為體積不變原理,即抽孔前后材料體積不變;ABCD四邊形面積=GFEA所圍成的面積.一般抽孔高度不深取H=3P(P為螺紋距離),R=EF見圖 T*AB=(H-EF)*EF+π*(EF)2/4∴AB={H*EF+(π/4-1)*EF2}/T∴預沖孔孔徑=D–2ABT≧0.8時,取EF=60%T.在料厚T<0.8時,EF的取值請示上級.第4页共7页第3页共7页编号:时间:2021年x月x日书山有路勤为径,学海无涯苦作舟页码:第4页共7页4.9方形抽孔方形抽孔,當抽孔高度較高時(H>Hmax),直邊部展開與彎曲一致,圓角處展開按保留抽高為H=Hmax的大小套彎曲公式展開,連接處用45度線及圓角均勻過渡,當抽孔高度不高時(H≦Hmax)直邊部展開與彎曲一致,圓角處展開保留與直邊一樣的偏移值.以下Hmax取值原則供參考.當R≧4MM時:材料厚度T=1.2~1.4取Hmax=4T材料厚度T=0.8~1.0取Hmax=5T材料厚度T=0.7~0.8取Hmax=6T材料厚度T≦0.6取Hmax=8T當R<4MM時,請示上級.4.10壓縮抽形1(Rd≦1.5T)原則:直邊部分按彎曲展開,圓角部分按拉伸展開,然后用三點切圓(PA-P-PB)的方式作一段與兩直邊和直徑為D的圓相切的圓弧.當Rd≦1.5T時,求D值計算公式如下:D/2=[(r+T/3)2+2(r+T/3)*(h+T/3)]1/2第5页共7页第4页共7页编号:时间:2021年x月x日书山有路勤为径,学海无涯苦作舟页码:第5页共7页4.11壓縮抽形2(Rd>1.5T)原則:直邊部分按彎曲展開,圓角部分按拉伸展開,然后用三點切圓(PA-P-PB)的方式作一段與兩直邊和直徑為D的圓相切的圓弧.當Rd>1.5T時:l按相應折彎公式計算.D/2={(r+T/3)2+2(r+T/3)*(h+T/3)-0.86*(Rd-2T/3)*[(r+T/3)+0.16*(Rd-2T/3)]}1/24.12捲圓壓平圖(a):展開長度L=A+B-0.4T圖(b):壓線位置尺寸A-0.2T圖(c):90°折彎處尺寸為A+0.2T圖(d):捲圓壓平後的產品形狀第6页共7页第5页共7页编号:时间:2021年x月x日书山有路勤为径,学海无涯苦作舟页码:第6页共7页4.13側沖壓平圖(a):展開長度L=A+B-0.4T圖(b):壓線位置尺寸A-0.2T圖(c):90°折彎處尺寸為A+1.0T圖(d):側沖壓平後的產品形狀4.14綜合計算如圖:L=料內+料內+補償量=A+B+C+D+中性層弧長(AA+BB+CC)(“中性層弧長均按中性層到板料內側距離λ=T/3”來計算)備註:a標注公差的尺寸設計值:取上下極限尺寸的中間值作為設計標准值.b孔徑設...

1、当您付费下载文档后,您只拥有了使用权限,并不意味着购买了版权,文档只能用于自身使用,不得用于其他商业用途(如 [转卖]进行直接盈利或[编辑后售卖]进行间接盈利)。
2、本站所有内容均由合作方或网友上传,本站不对文档的完整性、权威性及其观点立场正确性做任何保证或承诺!文档内容仅供研究参考,付费前请自行鉴别。
3、如文档内容存在违规,或者侵犯商业秘密、侵犯著作权等,请点击“违规举报”。

碎片内容

钣金产品展开计算标准

您可能关注的文档

确认删除?
VIP
微信客服
  • 扫码咨询
会员Q群
  • 会员专属群点击这里加入QQ群
客服邮箱
回到顶部