电脑桌面
添加小米粒文库到电脑桌面
安装后可以在桌面快捷访问

动设备安装技术交底VIP免费

动设备安装技术交底_第1页
1/11
动设备安装技术交底_第2页
2/11
动设备安装技术交底_第3页
3/11
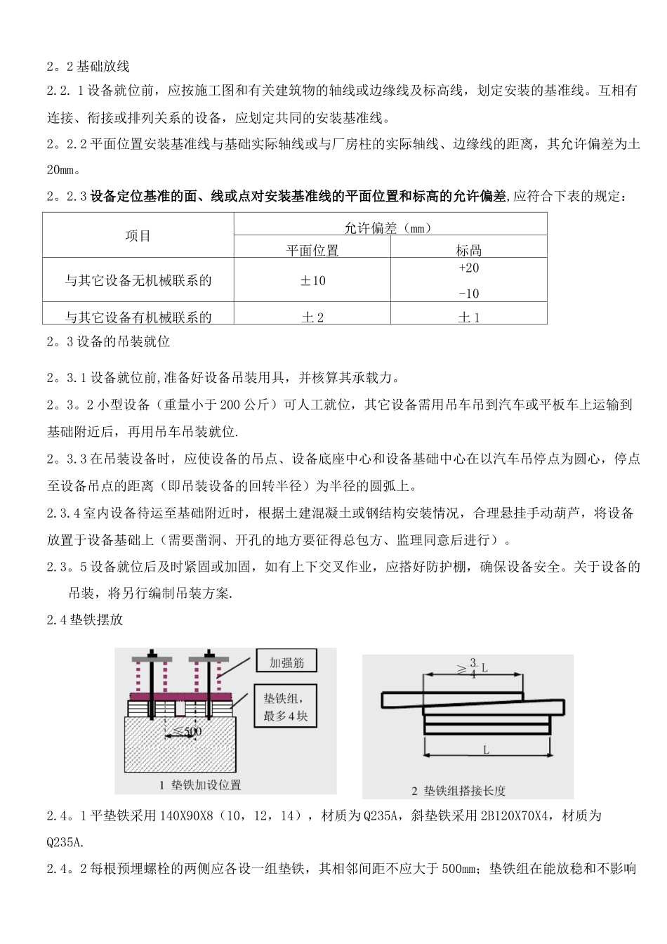
动设备安装技术交底2016年8月20日工程名称:分部工程名称动设备安装施工单位1.开箱检查和保管1。1在总包方、监理等各方人员共同参与下,对下列项目进行检查,并应做好记录:1)箱号、箱数以及包装情况;2)设备的名称、型号和规格;3)装箱清单、设备技术文件、资料及专用工具;4)设备有无缺损件,表面有无损坏和锈蚀等;A。风机的开箱检查应符合下列要求:1)应按装箱清单清点风机的零件、部件和配套件,看是否齐全。2)应核对叶轮、机壳和其它部位的主要安装尺寸,应与设计相符。3)风机进口和出口的方向应与设计相符;叶轮旋转方向和定子导流叶片的导流方向应符合设备技术文件的规定。4)风机外露部分各加工面应无锈蚀;转子的叶轮和轴颈、齿轮的齿面和齿轮轴的轴颈等主要零件、部件的重要部位应无碰伤和明显的变形.5)整体出厂的风机,进气口和排气口应有盖板遮盖,并应防止尘土和杂物进入B。泵的开箱检查应符合下列要求:1)应按设备技术文件的规定清点泵的零件和部件,并应无缺件、损坏和锈蚀等;管口保护物和堵盖应完好。2)应核对泵的主要安装尺寸,并应与设计相符.C。电动葫芦安装前,应按下列要求进行检查:1)设备技术文件应齐全;2)按设备装箱清单检查设备、材料及附件的型号、规格和数量,且应符合设计和设备技术文件的要求,并应有出厂合格证书及必要的出厂试验记录;3)机、电设备应无变形、损伤和锈蚀,其中钢丝绳不得有锈蚀、损伤、弯折、打环、扭结、裂嘴和松散的现象;4)安装预埋件的坐标位置、标高、跨度和表面的平面度均应符合设计和安装的要求。1.2设备开箱检查、拆卸后要清除所涂的防腐剂和内部残留的铁屑、锈蚀及运输、存放中堆积的灰尘等污物。1。3设备加工的防锈层不得使用砂布或金属刮具除去,只准用干净的棉纱、棉布、木刮刀或牛角刮具清除。1.4出厂时已装配、调整完善的部分不得拆卸清洗。1。5设备精密部位可涂少量油脂,以防锈蚀。1。6设备及其零、部件和专用工具,均应妥善保管,不得使其变形、损坏、锈蚀、错乱或丢失。1.7验收清单由各方代表共同签字确认。对发现的问题如实记录并提出解决方案,并经总包方、监理认可.2.施工工艺2。1基础验收2.1.1基础验收前,土建单位或钢结构单位应移交基础的位置、坐标、中心线及几何尺寸的实测图表,设备基础质量应符合现行国家标准《钢筋混凝土工程施工及验收规范》的规定,设备安装前应按下页的允许偏差对基础位置和几何尺寸进行复检。2。1.2设备基础表面的油污、碎石、泥土、积水等应清除干净,放置垫铁部位的表面应凿平2.1.3预埋地脚螺栓的螺纹,应无损坏、锈蚀,且有保护措施;预埋板表面应光滑平整,不得有挂渣、飞溅及油污。水平度偏差不得大于2mm/m.2。1.4基础验收应经总包方、监理、土建单位或钢结构单位、安装单位四方共同验收并办理基础中间交接手续•验收资料或记录由四方签字后保存,作为交工资料。设备基础尺寸和位置的允许偏差项目允许偏差(mm)坐标位置(纵横轴线)±20不同平面的标高—20平面外形尺寸凸台上平面外形尺寸凹穴尺寸±20—20平面水平度每米5全长10垂直度每米5全高10预埋地脚螺栓标高(顶端)+20中心距(在根部和顶部测量)±22。2基础放线2.2.1设备就位前,应按施工图和有关建筑物的轴线或边缘线及标高线,划定安装的基准线。互相有连接、衔接或排列关系的设备,应划定共同的安装基准线。2。2.2平面位置安装基准线与基础实际轴线或与厂房柱的实际轴线、边缘线的距离,其允许偏差为土20mm。2。2.3设备定位基准的面、线或点对安装基准线的平面位置和标高的允许偏差,应符合下表的规定:项目允许偏差(mm)平面位置标咼与其它设备无机械联系的±10+20-10与其它设备有机械联系的土2土12。3设备的吊装就位2。3.1设备就位前,准备好设备吊装用具,并核算其承载力。2。3。2小型设备(重量小于200公斤)可人工就位,其它设备需用吊车吊到汽车或平板车上运输到基础附近后,再用吊车吊装就位.2。3.3在吊装设备时,应使设备的吊点、设备底座中心和设备基础中心在以汽车吊停点为圆心,停点至设备吊点的距离(即吊装设备的回转半径)为半径的圆弧上。2.3.4室内设备待运至基础附近时,根据土建...

1、当您付费下载文档后,您只拥有了使用权限,并不意味着购买了版权,文档只能用于自身使用,不得用于其他商业用途(如 [转卖]进行直接盈利或[编辑后售卖]进行间接盈利)。
2、本站所有内容均由合作方或网友上传,本站不对文档的完整性、权威性及其观点立场正确性做任何保证或承诺!文档内容仅供研究参考,付费前请自行鉴别。
3、如文档内容存在违规,或者侵犯商业秘密、侵犯著作权等,请点击“违规举报”。

碎片内容

动设备安装技术交底

您可能关注的文档

确认删除?
VIP
微信客服
  • 扫码咨询
会员Q群
  • 会员专属群点击这里加入QQ群
客服邮箱
回到顶部