电脑桌面
添加小米粒文库到电脑桌面
安装后可以在桌面快捷访问

外贸出口货物包装技巧VIP免费

外贸出口货物包装技巧_第1页
1/7
外贸出口货物包装技巧_第2页
2/7
外贸出口货物包装技巧_第3页
3/7
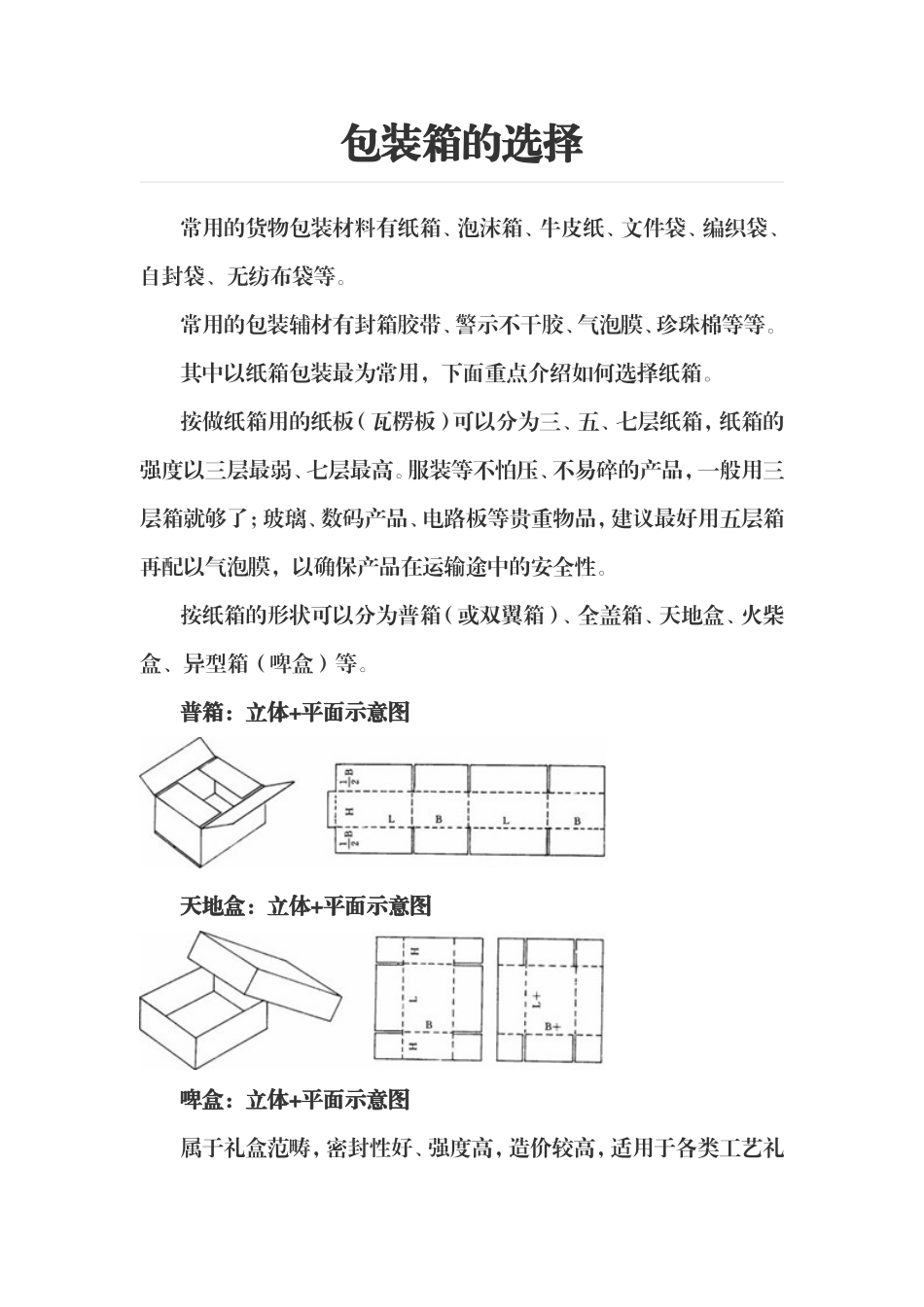
包装箱的选择常用的货物包装材料有纸箱、泡沫箱、牛皮纸、文件袋、编织袋、自封袋、无纺布袋等。常用的包装辅材有封箱胶带、警示不干胶、气泡膜、珍珠棉等等。其中以纸箱包装最为常用,下面重点介绍如何选择纸箱。按做纸箱用的纸板(瓦楞板)可以分为三、五、七层纸箱,纸箱的强度以三层最弱、七层最高。服装等不怕压、不易碎的产品,一般用三层箱就够了;玻璃、数码产品、电路板等贵重物品,建议最好用五层箱再配以气泡膜,以确保产品在运输途中的安全性。按纸箱的形状可以分为普箱(或双翼箱)、全盖箱、天地盒、火柴盒、异型箱(啤盒)等。普箱:立体+平面示意图天地盒:立体+平面示意图啤盒:立体+平面示意图属于礼盒范畴,密封性好、强度高,造价较高,适用于各类工艺礼品、高档数码、电路板等产品的包装。火柴盒:立体+平面示意图成形方便、结构简单合理,适用于球拍、画(框)等较大型的扁状产品。部分衬垫(刀卡)示意图:衬垫主要用于箱子内部,起到加强箱子强度、保护产品的目的,广泛适用于易碎品、贵重物品的包装。如:手机、电子产品套装(电源、光盘、说明书等配件能合理布放。同样大小的箱子,天地盒、啤盒的价格要高于普箱。因为其用料较多,侧面一般为二层纸板,故强度、密封性也高于普箱。普箱的方便、便宜、环保使得普箱的应用范围最广。卖家选购纸箱时最好是根据产品特征、买家要求,同时结合成本投入综合考虑。虽然强度高的纸箱安全性更高,但是成本也更高、物流费用也会增加。卖家也可以订制自己的专用包装纸箱,印上自己的LOGO等信息。这样可以让您的产品在物流全程中吸引更多眼球,同时也是一种品牌传播的方式。EMS发货包装优化技巧EMS运费计算公式:首重运费+(重量(公斤)×2-1)×续重运费EMS运费计算标准以每0.5KG(0.5公斤)为一个计费重量单位,每增加0.5KG为一个续重,每包货物的重量不能超过30KG。例如:5KG货品按首重150元、续重30元计算,则运费总额为:150+(5×2-1)×30=420元。点击查看EMS标准运费参考>>包装技巧:1.起重费用相对续重费用较高,建议您优化打包方式,合理分摊运费;2.每0.5KG(0.5公斤)为一个计费重量单位,建议参考计费单位打包出售。产品包装信息优化技巧您可以选择产品的最小计量单位和产品的销售方式(零售或打包销售)等信息。最小计量单位:即单个产品的量词。多数产品可选择“件”即“Piece”作为单位,也可选择“套”即“Set”等其他计量单位。销售方式:根据产品价值和重量等,可选择“单件出售”或“打包出售”商品。一般,产品单价较高,重量和体积较大的产品适合单件卖;而产品单价较低,重量和体积较小的产品(例如戒指、手表等)适合多个组成一包卖。产品包装尺寸:产品包装尺寸要求卖家填写的是,物品发货时包裹的实际尺寸(物品加上快递包装物后的尺寸)请准确填写“长”、“宽”、“高”,产品包装尺寸会影响到产品的运费成本,因为这个尺寸的资料是平台计算运费的依据之一。卖家在填写包装尺寸的过程中最容易犯的错误是,卖家填写的是产品的实际尺寸(打包销售的卖家容易填写成单品的实际尺寸)或者是乱填尺寸,一般会出现一下后果:(1)计算出来的运费比实际需要的运费高,这将降低卖家产品成交的可能性;(2)计算出来的运费比实际需要的运费低,这将造成卖家运费出现缺口,可能导致亏本或者退单。产品包装毛重:请准确填写产品包装后的重量,该重量会影响到产品的运费成本。特别提醒:(1)产品包装尺寸和产品包装毛重的填写,取决于销售方式的选择。如您选择了单件出售,相应的包装尺寸和毛重请填写单件产品的信息;如您选择了打包出售,相应的包装尺寸和毛重请填写整包产品的信息。(2)您填写的产品包装尺寸,将作为计算运费的依据,请务必准确填写。(3)快递包装限制(此限制适用于绝大部分快递公司)每件包裹的重量上限为68公斤;每件包裹的长度上限为270厘米;每件包裹最大尺寸:长+长度以外的最大横周=330厘米;每批货件总重量与包裹件数无限制;由于某些国家或地区有不同的当地限制,因此会有一些差异。请联系您的承运商以获取更多详细信息。特别提醒:(1)UPS、DHL、TNT、FedEx、EMS非直...

1、当您付费下载文档后,您只拥有了使用权限,并不意味着购买了版权,文档只能用于自身使用,不得用于其他商业用途(如 [转卖]进行直接盈利或[编辑后售卖]进行间接盈利)。
2、本站所有内容均由合作方或网友上传,本站不对文档的完整性、权威性及其观点立场正确性做任何保证或承诺!文档内容仅供研究参考,付费前请自行鉴别。
3、如文档内容存在违规,或者侵犯商业秘密、侵犯著作权等,请点击“违规举报”。

碎片内容

外贸出口货物包装技巧

书海行舟+ 关注
实名认证
内容提供者

热爱教学事业,对互联网知识分享很感兴趣

确认删除?
VIP
微信客服
  • 扫码咨询
会员Q群
  • 会员专属群点击这里加入QQ群
客服邮箱
回到顶部