电脑桌面
添加小米粒文库到电脑桌面
安装后可以在桌面快捷访问

船舶PSPC压载舱涂层防护指导书VIP免费

船舶PSPC压载舱涂层防护指导书_第1页
1/6
船舶PSPC压载舱涂层防护指导书_第2页
2/6
船舶PSPC压载舱涂层防护指导书_第3页
3/6
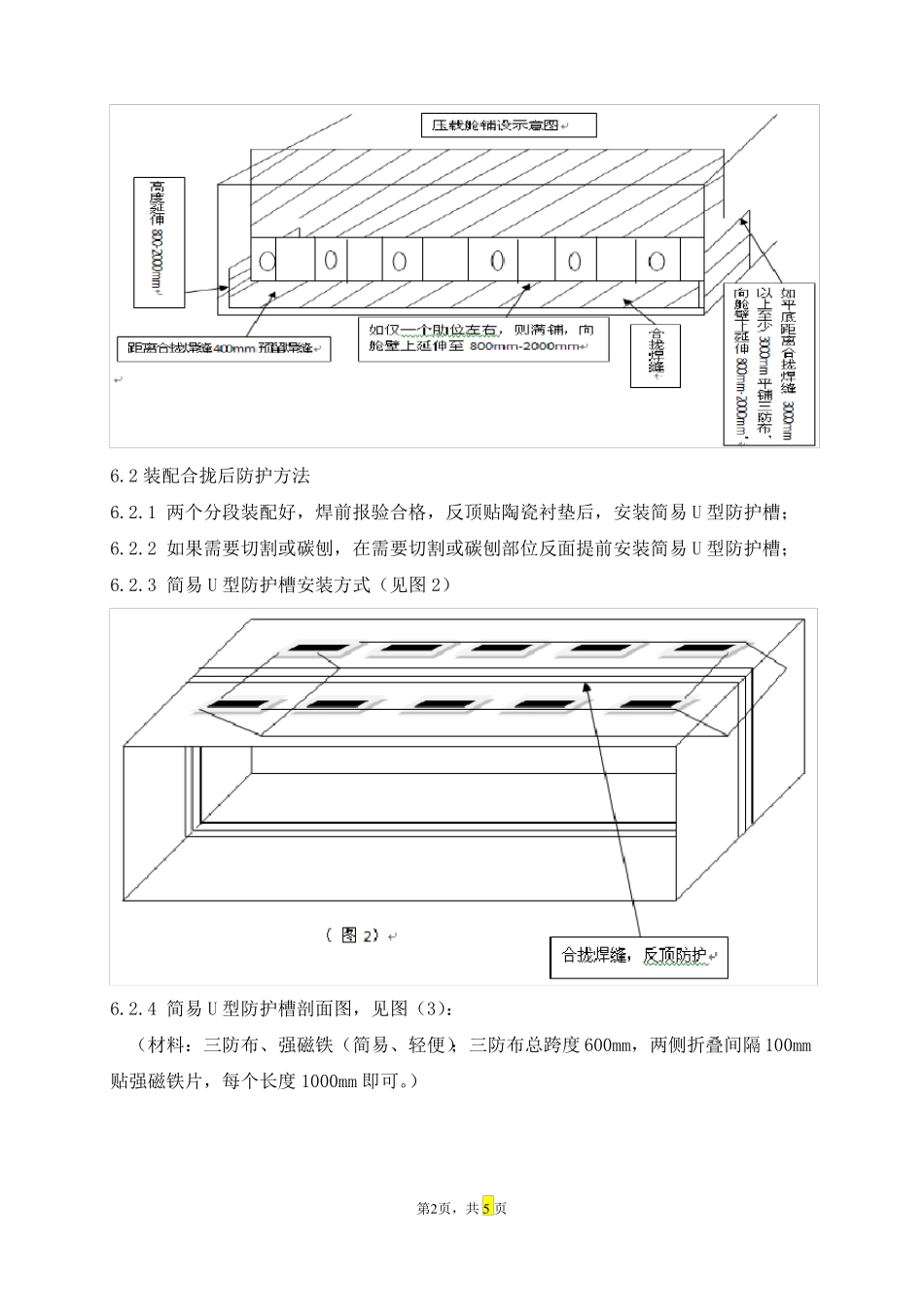
船舶PSPC压载舱涂层防护指导书1适用范围本防护指导书适用于新造钢质船满足PSPC要求的压载舱的涂层防护。2防护目的为适应新的造船规范,满足PSPC要求,最大程度降低建造成本,切实降低涂装风险。3防护区域新造船满足PSPC要求的压载舱(上下边压载舱、底压载舱、艏艉压载舱等)。4责任人结构部为保护第一负责人,必须抽调专人负责巡视和维护,并向涂装部交验接收,其它施工部门或单位为维护负责人,并向涂装部提交备案表格。5材料准备三防布(或石棉)、简易U型防护槽、胶带、橡胶皮、铁丝等。6防护方式方法6.1分段阶段防护方式方法6.1.1防护时间:压载舱内油漆经过验收合格后,准备移交下道工序前以及合拢装配前;6.1.2防护方法:地板合拢口,如平底距离合拢焊缝3000mm以上至少3000mm平铺三防布,然后向舱壁上延伸800mm-2000mm;如仅一个肋位左右,则满铺,然后向舱壁上延伸至800mm-2000mm。肋骨、加强材环绕包铺;6.1.3防护方式见图1:底部三防布铺设示意图(1)第1页,共5页6.2装配合拢后防护方法6.2.1两个分段装配好,焊前报验合格,反顶贴陶瓷衬垫后,安装简易U型防护槽;6.2.2如果需要切割或碳刨,在需要切割或碳刨部位反面提前安装简易U型防护槽;6.2.3简易U型防护槽安装方式(见图2)6.2.4简易U型防护槽剖面图,见图(3):(材料:三防布、强磁铁(简易、轻便);三防布总跨度600mm,两侧折叠间隔100mm贴强磁铁片,每个长度1000mm即可。)第2页,共5页(图3)6.3通道部分防护6.3.1压载舱内上下爬梯,全包扎,见图(4)(图4)6.3.2边舱通道地板全部铺设,壁板处升高2000mm铺设,洞口处用明显标志提醒,防止坠落,见图(5)第3页,共5页(图5)6.3.3所有处于甲板的压载舱舱口用水泥围栏,防止雨水进入;上部用钢质围栏防护并遮盖防雨布,但要求施工人员出入方便;6.3.4如压载舱内需要搭设临时脚手,必须将所有入舱钢管端口包扎橡皮,以防止入舱钢管搭设拆除中碰伤壁板或地板。入舱跳板首选木质材料,木板材料边缘平滑过渡,用橡皮包扎,防止撞击涂层;6.3.5其它专业因修改加焊的部位作业前必须先做好防护,并做好标记。施工结束清理剩余材料和垃圾出舱。7作业场所及人员要求7.1舱室外悬挂合拢作业通道图。7.2认真填写《入舱作业登记表》(此表放置在登轮处,作业人员随同《密闭舱室作业申请》一起填写,不填写视为违章,产生的后果处罚到相应管理人员),见附件1。7.3所有进入舱室作业人员必须穿戴合格的脚套,工具有专用工具包,不得随意丢放。7.4对于合拢要增开氧割结构的需记录和报告技术部和质量部,以便核算油漆损坏面积,质量部报船检。7.5任何施工过程均受结构部监督,所有需要拆除或临时移除的区域必须得到管理科的第4页,共5页认可,完成后施工者清理异物恢复原状,结构部专人监督检查。7.6免除喷砂区域界限:主合拢缝每侧200mm,肋骨及加强材边缘300mm,连续破损小于25㎡,单个压载舱总破损面积小于2%。(见图6)图6合拢对接缝涂层破损示意图8拆除防护8.1拆除防护时间8.1.1有脚手架位置须要在脚手上部涂装完成,拆除脚手架后拆除;8.1.2无脚手架部位为其他专业施工完成后,交涂装施工时拆除;8.1.3行走通道等涂装结束,封舱前拆除。8.2拆除防护后处理8.2.1拆除后清洁舱室,查找隐藏的破损区域,按照要求局部修补;8.2.2局部修补按照合拢后舱室处理方式方法处理。8.3拆除后材料回收,整理后备用,简易U型防护槽、脚套等以旧换新。9宣贯及培训9.1结构部在本船开工期间,直到交船,时刻宣贯到所有作业人员,组织培训。9.2各科室在班前会上要求对每位施工人员进行宣贯。9.3安全部也将6S强化到压载舱室的管理中。10编后语10.1随着我公司新接订单的不断高端化,涂装防护不能仅仅作为口号和标语停留在表面,各部门要努力将PSPC的防护落到实处。第5页,共5页10.2任何破坏压载舱涂层的行为都要零容忍。10.3公司要加大涂装防护的投入。10.4只有全员参与,才能从根本上解决压载舱的防护问题。10.5实际操作中要求灵活运用,不断完善,不能教条。第6页,共5页

1、当您付费下载文档后,您只拥有了使用权限,并不意味着购买了版权,文档只能用于自身使用,不得用于其他商业用途(如 [转卖]进行直接盈利或[编辑后售卖]进行间接盈利)。
2、本站所有内容均由合作方或网友上传,本站不对文档的完整性、权威性及其观点立场正确性做任何保证或承诺!文档内容仅供研究参考,付费前请自行鉴别。
3、如文档内容存在违规,或者侵犯商业秘密、侵犯著作权等,请点击“违规举报”。

碎片内容

船舶PSPC压载舱涂层防护指导书

您可能关注的文档

确认删除?
VIP
微信客服
  • 扫码咨询
会员Q群
  • 会员专属群点击这里加入QQ群
客服邮箱
回到顶部